BreakingNews4X Profile Banner
Eugene Profile
Eugene

@BreakingNews4X

Followers
20K
Following
90K
Media
14K
Statuses
75K

Welcome to 𝕏 News.

Joined May 2024
Don't wanna be here? Send us removal request.
@BreakingNews4X
Eugene
11 hours
🔥 Hot take from quantum physicists: They've built a tiny engine (think: one qubit, not a V8) that laughs in the face of thermodynamics' sacred Carnot limit. Efficiency? Up to 106% of the "impossible" max—because quantum entanglement turns heat and spooky info into work.
2
5
9
@BreakingNews4X
Eugene
2 hours
The full projected path of Melissa.
1
3
2
@openmind_agi
OpenMind
13 days
In @FortuneMagazine’s latest robotics commentary, OpenMind Founder @JanLiphardt explores a key question: "How do you trust a robot you've never met?" Only through transparent, enforceable, and human-first standards can we truly build trust with robots. (Full Article Below)
67
70
458
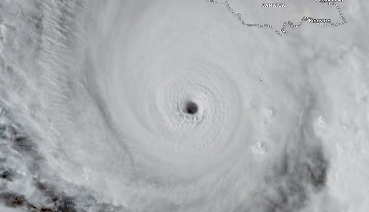
@BreakingNews4X
Eugene
2 hours
The eye of Melissa. #HurricaneMelissa
0
2
5
@BreakingNews4X
Eugene
2 hours
The eye of Melissa. #HurricaneMelissa
0
2
5
@BuffaloJon1
฿Ʉ₣₣₳ŁᏫɈᏫ₦🦬
2 hours
Devastation on the outside, beauty on the inside Damn
@BreakingNews4X
Eugene
2 hours
Hurricane Melissa in all her glory. This is stunning footage. ⚡️🌪️ #HurricaneMelissa
0
2
3
@stratomercata
STRATO Mercata
4 days
Join us on Wednesday, Oct. 29 at 5pm ET for our conversation on the challenges with Web3 UX with special guest @BSmokes_ of @PistachioFi and builders at STRATO Mercata @kjameslubin @vic4wong @BobSummerwill @kjameslubin
8
13
40
@BreakingNews4X
Eugene
2 hours
The full projected path of Melissa.
1
3
2
@BreakingNews4X
Eugene
2 hours
Another current view of Melissa.
1
0
0
@BreakingNews4X
Eugene
2 hours
Here is a satellite picture of the eye of Melissa.
1
0
3
@Donna2237596550
Donna
2 hours
@BreakingNews4X A magnificent monster
0
1
2
@NarssicaNoir
James Gardner
2 days
THE NARSSICA NOVEL Delphine Devereaux looks perfect. She's not. Delphine Devereaux is the daughter of a controversial movie star and a genius inventor who created metaliester - a miracle fabric lighter than silk, stronger than steel. When both parents vanished, they left her
0
2
31
@innercitypress
Inner City Press
2 hours
Sure looks like it. There are no indictments yet for 2026. And the odds of an Ernest Hemingway and a Jesse James being co-defendants, or co-conspirators, in a MANIPULATION OF SECURITY PRICES case seem slim...
@tigerpmimi
Eve of Hearts @[email protected].
2 hours
@innercitypress @MatthewLeeICP @sdnylive So somebody is hacking/trolling/testing PACER now?
2
9
15
@BreakingNews4X
Eugene
2 hours
Hurricane Melissa in all her glory. This is stunning footage. ⚡️🌪️ #HurricaneMelissa
1
11
31
@Rainmaker1973
Massimo
9 hours
In a groundbreaking social initiative, Albuquerque, New Mexico launched a program that pays homeless individuals to clean streets, parks, and public areas. The idea was simple — offers work, dignity, and purpose instead of punishment or pity. The results were remarkable: over
57
503
2K
@BreakingNews4X
Eugene
2 hours
THIS ⤵��
@brettachapman
Brett Chapman
5 hours
I’ve said this a million times, but personally, I don’t care if someone says Indian, Native, Indigenous, Aboriginal or whatever as long as you can tell the person is coming from a place of respect. Respect is what matters most to me and dare I say most Native Americans
0
1
3
@secureainow
The Alliance for Secure AI
4 days
A British TV network aired a special on AI’s impact on the workforce — but in a surprising twist at the end, viewers discovered the host was actually an AI. The reveal sparked conversations about the growing need for transparency and awareness around how AI can convincingly mimic
0
2
15
@BreakingNews4X
Eugene
2 hours
Fanny packs are back? 😂😂😂😂
@Reuters
Reuters
2 hours
Lululemon Athletica announced a partnership with the National Football League to release an apparel collection, sending shares up more than 4% in morning trading https://t.co/GJAZVah2F0
1
1
2
@testerlabor
Testlabor
2 days
Grok will soon be able to edit video files.
6
16
81
@Reuters
Reuters
2 hours
LIVE: View of Israel's Forensic Institute ahead of hostage body handover
2
7
22
@FlynonymousWX
Tropical Cowboy of Danger
3 hours
Fourth pass through Melissa this morning, another side view due to my hairbrained attempt to shoot 8k video out the front.
3
72
555
@BreakingNews4X
Eugene
3 hours
Heck of a view from inside of Hurricane Melissa. #HurricaneMelissa
@FlynonymousWX
Tropical Cowboy of Danger
3 hours
Third pass through Melissa. GoPro in side window as different camera looking forward shooting in ultra high res 8k. Not sure when that might get processed as the file turned out ridiculous. Barely had HD space for it and MacBook Pro promptly chocked when I tried to edit it
0
1
9
@FlynonymousWX
Tropical Cowboy of Danger
3 hours
Second pass through Hurricane Melissa entering from the southwest side. Passed NOAA in the eye wall as they headed outbound for home. Obviously a very powerful storm but a relatively straightforward one on this flight. Much less nasty meso activity than 36 hours ago.
14
139
782
@ReedTimmerUSA
Reed Timmer, PhD
3 hours
The westward trend continues with category 5 Hurricane #Melissa. I believe this is due to a deeper tropical cyclone advecting earth’s vorticity southward on the western half. Hopefully the westward trend can continue for the sake of Jamaica!
31
113
882
@Tensori_ltd
Tensori
19 days
POOLS arrives Nov 6 on the App Store. Universal Purchase for iPhone, iPad, Mac.
8
4
88
@BreakingNews4X
Eugene
3 hours
Stunning. 👀
@FlynonymousWX
Tropical Cowboy of Danger
3 hours
A thread of videos from today’s flight into Hurricane Melissa In this first one we are entering from the southeast just after sunrise and the bright arc on the far northwest eye wall is the light just beginning to make it over the top from behind us.
2
2
7