miwxchaser Profile Banner
Lake Effect & Lightning Profile
Lake Effect & Lightning

@miwxchaser

Followers
2K
Following
54K
Media
1K
Statuses
17K

Entrepreneur | Storm Chaser | Patriot | Air Force Veteran | 2A Advocate | Metal Head | Engineer | Videographer | World Traveler

Michigan, USA
Joined May 2022
Don't wanna be here? Send us removal request.
@WXChaserCody
Cody Reynolds
6 days
@SkyTrevorBWX @ZeroBansai @Matt36875Man 2 minutes after a kid was killed because of their negligence is enough time? It was the only storm in their entire CWA and still couldn’t do their job right. Not to mention they issued a radar indicated warning when it was clearly on the ground. They deserve no respect.
2
1
2
@WXChaserCody
Cody Reynolds
6 days
@NWSIWX @Matt36875Man Can we speculate on why it took you so long to warn it? Go survey and stop worrying about what people are doing on X.
7
1
7
@alex_bartwx
Alex Bartholomew
8 hours
DJI Action 6 shot of the Kankakee, IL EF3 crossing 57. One of the few "clean" grabs I could get.
6
12
146
@BrandonCopicWx
Brandon Copic
20 hours
I was every bit of 18 in this photo haha thanks Rob!!
@miwxchaser
Lake Effect & Lightning
1 day
Happy Birthday @BrandonCopicWx 🥳🥳 Have a great one brother!!
1
1
65
@miwxchaser
Lake Effect & Lightning
23 hours
We’re in deep do do in this country. Stay strapped, get trained, stay alert and vigilant.
@sarahadams
Sarah Adams
23 hours
Our government is failing in the fight against terrorism on U.S. soil. They declared the war on terrorism over, paid off terrorist groups overseas, ignored experts providing high-fidelity HUMINT on the threat, and forgot a basic reality: THE ENEMY ALWAYS GETS A VOTE!
0
0
0
@sarahadams
Sarah Adams
23 hours
Our government is failing in the fight against terrorism on U.S. soil. They declared the war on terrorism over, paid off terrorist groups overseas, ignored experts providing high-fidelity HUMINT on the threat, and forgot a basic reality: THE ENEMY ALWAYS GETS A VOTE!
@DanHollaway
Dan Hollaway
24 hours
Pretending you aren’t at war doesn’t make the enemy stop fighting. Those in power who refuse to act toward our protection are collaborators.
27
165
717
@gensiniwx
Victo☈ Gensini, PhD, CCM
1 day
We have a new state of IL record for max hail size! Preliminary measurements find a maximum dimension of 6.14 inches. Thank you so much to the Denault family of Kankakee for inviting me into their home, sharing their experience, and letting me take the stone for measurement.
12
203
829
@miwxchaser
Lake Effect & Lightning
1 day
Oh no!!! 😢😫😫 praying for their families. 🙏🏼🙏🏼
@Mrgunsngear
Mrgunsngear
1 day
A USAF refueling aircraft has reportedly crashed in western Iraq. Prayer up for the crew 🇺🇸✝️ #USAF #war #iran #israel #iraq #KC135 #AirForce
0
0
0
@miwxchaser
Lake Effect & Lightning
1 day
Happy Birthday @BrandonCopicWx 🥳🥳 Have a great one brother!!
0
0
4
@BrandonCopicWx
Brandon Copic
1 day
LOL at the literal hole in my windshield. @safelite comes today to replace it. I will accept it as a very good birthday present 😂
62
34
730
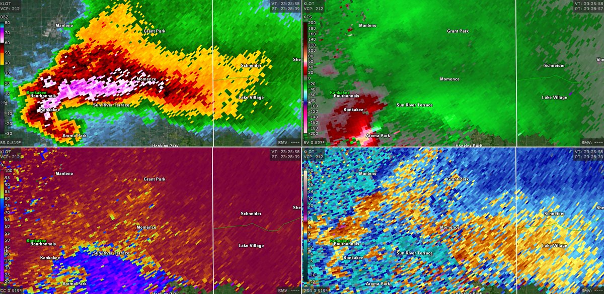
@NickKrasz_Wx
Nick Krasznavolgyi
2 days
- Damage Survey Update - The tornado that impacted Kankakee-Aroma Park, Illinois on March 10 has been preliminarily rated EF3, with peak estimated winds of 150 mph, according to the National Weather Service office in Chicago, Illinois.
11
77
493
@BrandonCopicWx
Brandon Copic
2 days
POV my mindset when I nearly smoked a diesel tank lofted by the tornado and then grapefruit sized hail decimated my car.
39
90
1K
@PrometheanActn
Promethean Action
2 days
Trump moved on three fronts to break Lloyd's insurance blockade — but the bigger story is the Khamenei family money trail leading straight to London. And why Bolton, Carney, and the old imperial order are all standing outside the fence looking in...
492
9K
26K
@sarahadams
Sarah Adams
2 days
As someone actively collecting against Iran’s Islamic Revolutionary Guard Corps Unit 840, one of the regime’s primary covert action arms for external operations, the idea that Iran is launching drones from ships off the U.S. West Coast feels oddly inconsistent with operational
@ABC
ABC News
2 days
BREAKING: The FBI has warned police departments in California that Iran wants to retaliate for American attacks by launching offensive drones against the West Coast, according to an alert reviewed by @ABC News. Read more: https://t.co/LNR2dkGK8T
149
339
2K
@miwxchaser
Lake Effect & Lightning
2 days
I’ve never seen hail, regardless of size breach a vehicles windshield made of safety glass. Holy shit. Glad my buddy is OK.
@BrandonCopicWx
Brandon Copic
2 days
POV: Grapefruit+ Hail goes through your windshield right after the tornado crossed in front of me in Kankakee, IL Yesterday. Look closely at the bottom right and you'll see a piece of it on the dash. @WxWiseApp @FoxWeather @RyanHallYall @MatthewCappucci
0
0
0
@MiStormChasers
Michigan Storm Chasers
2 days
We are still sorting and getting ready to distribute more supplies!
0
9
80
@MatthewCappucci
Matthew Cappucci
2 days
We MAY have U.S national record-challenging hail… Kevin, please put this in a plastic bag in the freezer to prevent sublimation until it can be recovered. @ibhshailstudy @gensiniwx @NWSChicago Y’all may want to see this…
@Kevinmc837
Kevin
2 days
@ryanhallyall @NWS @NWStornado @NWSWPC This is from the Kankakee Illinois tornado. 8 inch hail!
29
150
2K
@NickBenderKMBC
Nick Bender
2 days
$100,000,000 hail disaster in Kansas City? It’s possible after two supercell thunderstorms pummeled parts of western and northern Kansas City with hail up to 4.5 inches in diameter—that’s grapefruit-sized. Residents, business owners, insurance adjusters, and roofers have some
6
47
197
@miwxchaser
Lake Effect & Lightning
2 days
Holy shit!!!
@Kevinmc837
Kevin
2 days
@ryanhallyall @NWS @NWStornado @NWSWPC This is from the Kankakee Illinois tornado. 8 inch hail!
0
0
1