_jwall Profile Banner
Dr. Jonathan Wall Profile
Dr. Jonathan Wall

@_jwall

Followers
3K
Following
5K
Media
3K
Statuses
18K

💊 • Wx Forecaster since ‘08 ❄️ • NCSU Alum 🐺 #GoPack • Diver 🤿

Raleigh, NC
Joined June 2009
Don't wanna be here? Send us removal request.
@_jwall
Dr. Jonathan Wall
22 hours
Just another light snow day in NC for early December. This season feels different…
5
4
74
@_jwall
Dr. Jonathan Wall
22 hours
Once AI content consumes all, we will see a huge demand for collectibles and experiences, as consumers will flip to tangible vs AI developed slop on TikTok. Now’s the time to invest in a career offering experiences/something tangible, whatever that may be. People want real.
0
0
5
@_jwall
Dr. Jonathan Wall
6 days
The last time we entered MJO Phase 8 in December was 24 years ago.
16
24
268
@_jwall
Dr. Jonathan Wall
9 days
PhD curriculum will have to adapt to AI to evaluate students, with more emphasis placed on lectures and in-person assessments. This will eventually trickle down to the college level, going back to in-person “show your work” exams with blue books. College will go back in time.
@Andrew_Akbashev
Andrew Akbashev
10 days
Basically, this AI writer removes a big part of PhD education. It takes over your brainwork. Yes, it saves your time by writing for you. But you skip the essential thinking & analytical process because you don't need to write anymore. In my view, this is a dangerous road.
2
0
4
@_jwall
Dr. Jonathan Wall
15 days
EPS throwing a favorable snow pattern overnight, with snow chances from December 6th forward. -EPO established out west sends cold bleeding into the Lower 48. -NAO settling in. Split flow sets up our moisture chance.
1
11
75
@RyanMaue
Ryan Maue
19 days
Good news for "weather model" watchers. The AI-GEFS and mature GEFS are fantastic models, but maybe you don't know which one to choose -- they both are beautiful, but one's a LOT older. How about the Hybrid GEFS from NOAA? It's the best of both worlds!
4
6
73
@EFisherWX
Evan Fisher
1 month
Easily naked eye visible with distinct pillars in North Asheville, NC currently!!
20
111
1K
@_jwall
Dr. Jonathan Wall
1 month
Southeast ❤️
@SeedOilDsrspctr
Seed Oil Disrespecter™️
1 month
One of the most interesting info-maps I’ve ever seen
1
0
6
@_jwall
Dr. Jonathan Wall
1 month
👀
1
2
81
@_jwall
Dr. Jonathan Wall
1 month
Check out the flag in the foreground completely change direction as the air is sucked into the explosion. Wow.
@BNODesk
BNO News Live
1 month
WATCH: New dashcam video shows the crash of UPS Flight 2976 in Louisville, Kentucky
0
1
10
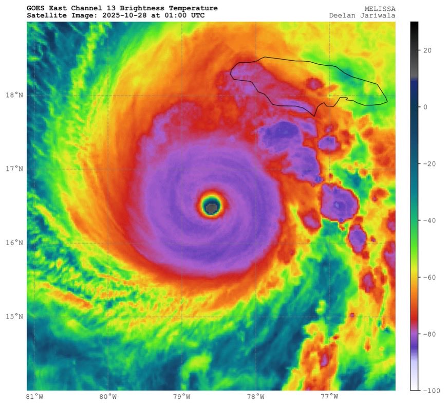
@_jwall
Dr. Jonathan Wall
2 months
Ugh. Utter devastation coming for Jamaica. 😞
@webberweather
Eric Webb
2 months
In my 16+ years of religiously following every Atlantic hurricane out there, I would have to say that #Melissa is the craziest Atlantic hurricane I’ve ever tracked
0
0
5
@_jwall
Dr. Jonathan Wall
2 months
Unbelievable corruption.
@KobeissiLetter
The Kobeissi Letter
2 months
BREAKING: Trilogy Metals stock, $TMQ, surges over +210% after the US government announces it will be taking a 10% stake in the company. The US government's portfolio is rapidly expanding.
0
1
2
@_jwall
Dr. Jonathan Wall
3 months
I think many people owe DeepMind an apology. #Imelda
0
0
4
@_jwall
Dr. Jonathan Wall
3 months
1
0
4
@EricTopol
Eric Topol
3 months
What are the implications of a new A.I. model that predicts the risk of a person's disease(s) 20 years ahead and when they will appear? https://t.co/cVCsbqv9rv
12
53
159
@_jwall
Dr. Jonathan Wall
3 months
Just for fun: https://t.co/gKhtK5YE7h (finger-swipe friendly on iPhone)
1
1
6
@_jwall
Dr. Jonathan Wall
3 months
Mediterranean diet is FULL of flavor. Shop farmers markets. Stop sugary drinks for just 2 weeks and reintroduce them later, you’ll hate them. Treat fruit as a “sweet treat” instead of cookies. I promise, in a few weeks your brain will retrain itself and your health will thank you
@Barchart
Barchart
3 months
McDonald’s $MCD pricing us out 🚨🚨 Prices have doubled over the last decade
0
0
5
@MorningBrew
Morning Brew ☕️
4 months
AOL says it will discontinue dial-up internet on September 30 May this sound echo in eternity: https://t.co/I0zKIPERbX
328
2K
10K
@_jwall
Dr. Jonathan Wall
4 months
Hope they get back pay!
@afreedma
Andrew Freedman
4 months
NEW: The NWS receives permission to hire up to 450 meteorologists/hydrologists/radar technicians after DOGE-related cuts. Agency also given a public safety exemption from federal hiring freeze. (1/2)
0
0
3