Wx_Geek Profile Banner
Thomas Kauzlarich Profile
Thomas Kauzlarich

@Wx_Geek

Followers
6K
Following
13K
Media
12K
Statuses
25K

A central Illinoisian that has been turned Nebraskan. Meteorologist โ„๏ธ, Professor ๐Ÿง‘โ€๐Ÿซ, & UNL Ph.D. student ๐Ÿง‘โ€๐ŸŽ“ | Lincoln, NE ๐Ÿ“| M.S. & B.S. ๐ŸŽ“

Lincoln, NE
Joined July 2015
Don't wanna be here? Send us removal request.
@Wx_Geek
Thomas Kauzlarich
6 months
Hello everyone, it's been a while. I have been rigorously working on my PhD dissertation, presenting at conferences, and publishing my master's research. In related news, I am pleased to announce that my first manuscript has been published in JAMC. ๐Ÿ”—: https://t.co/pAG8tG30WR
3
0
12
@skydrama
Andrew Pritchard
1 month
Freaking spectacular sunset over Champaign-Urbana this evening. Stepped outside with the dog and saw everything glowing orange, lucky enough to get the drone in the air in time to snap a few photos before the colors faded. Looks like there๏ฟฝ๏ฟฝs even a sun pillar tucked in there.
2
7
57
@Wx_Geek
Thomas Kauzlarich
1 month
[First ๐Ÿ“ธ] A heavily-filtered photo of the tornado as it impacted Long Creek, IL. [Second ๐Ÿ“ธ] A few minutes later, the tornado appears out of the rain.
@Wx_Geek
Thomas Kauzlarich
1 month
The tornado, as seen just northeast of Mount Zion, at around 3:27 pm. Captured the video at around the intersection of 85th St. and Bentonville Rd., looking northwest. I have lowered the brightness and enhanced the contrast for better viewing. @NWSLincolnIL #ILwx
0
0
2
@Wx_Geek
Thomas Kauzlarich
1 month
From beautiful Colorado mountains to incredible space and atmospheric weather, 2025 was quite the year for me. Onto 2026!
0
1
3
@Wx_Geek
Thomas Kauzlarich
1 month
The tornado, as seen just northeast of Mount Zion, at around 3:27 pm. Captured the video at around the intersection of 85th St. and Bentonville Rd., looking northwest. I have lowered the brightness and enhanced the contrast for better viewing. @NWSLincolnIL #ILwx
19
121
545
@Wx_Geek
Thomas Kauzlarich
3 months
To put quite honest, I am at a loss for words for what I experienced last night. The colors intermixed with the fall atmosphere makes you pretty lucky to be on planet Earth. Donโ€™t take anything for granted! November 11, 2025: The Greatest Day
0
0
3
@Wx_Geek
Thomas Kauzlarich
6 months
Post your #supercellsunday Onaga, KS โ€” August 14, 2024
@Lincoln_Wx
Lincoln Hauser
6 months
Post your #supercellsunday April 4th, 2023. Lewistown, IL.
2
2
24
@stormchaserQ
Quincy Vagell
9 months
One more set of photos from yesterdayโ€™s tornado chase in and around Floyd, New Mexico, showing the tornado shift from a ghostly white, toward a red swirling menace. I greatly appreciate all of the support and feedback. @NWSAlbuquerque
27
184
2K
@weather_history
Weather History
9 months
May 22, 2011: One of the worst tornadoes in American history devastated Joplin, Missouri. The massive, multiple-vortex, and rain-wrapped EF5 damaged or destroyed nearly 8,000 structures in the city. 158 people were killed and at least 1,150 were injured. #wxhistory
4
81
289
@weather_history
Weather History
9 months
May 22-23, 2004: A massive outbreak of 70 tornadoes struck the Central US and Ontario. Six tornadoes were significant (F2+), the strongest of which was a massive 2.5-mile-wide F4 that ripped through Hallam, Nebraska. One person was killed and 38 were injured. #wxhistory
0
13
61
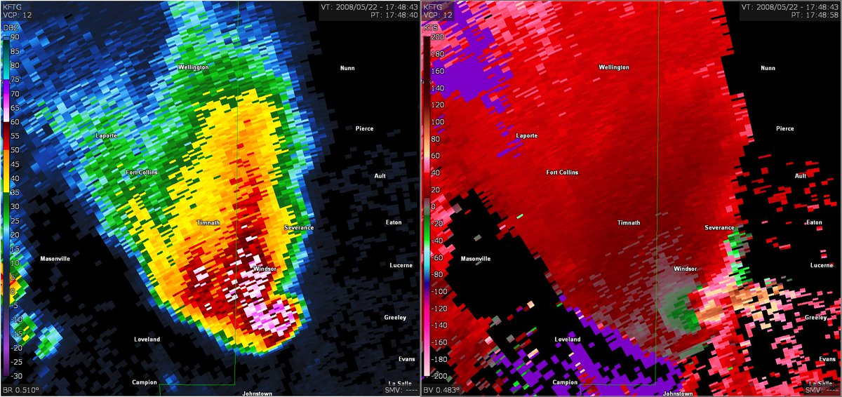
@weather_history
Weather History
9 months
May 22, 2008: A peculiar high-end EF3 tore through Windsor, CO. Striking in the late morning, the mile-wide wedge moved on a northwestward path into the town. Hundreds of residences and businesses were damaged or destroyed. One person was killed and 78 were injured. #wxhistory
0
28
122
@paytonmalonewx
Payton Malone
1 year
1895->2025. Took 130 years to see a big snow in New Orleans
214
3K
26K
@US_Stormwatch
Colin McCarthy
1 year
Once in a lifetime photo of the Gulf Coast covered in deep snow.
161
2K
14K
@marcorasi1960
Marco
1 year
Night after the snowstorm, New Orleans (More snow photos on IG at marcorasi1960)
53
790
6K
@NWSNewOrleans
NWS New Orleans
1 year
Wow, what a snow day! โ„๏ธ It's safe to say this was a historic snowfall for much of the area. We're still gathering updated snow totalsโ€”check out the previous post for the updated PNS. We'll continue adding new totals here as they come in! #lawx #mswx
30
314
1K
@NWSNewOrleans
NWS New Orleans
1 year
(1/4)โš ๏ธ 5PM Update: We still have a Winter Storm Warning across all of the area for tonight through Tuesday Evening. Roads will be dangerous, so consider delaying travel tomorrow, if possible. If you do have to travel, use extreme caution.
2
41
136
@amarkowitzWX
Andrew Markowitz
1 year
I never thought I would see a snow forecast that looks like this, but here we are. This is likely to be the biggest snowstorm in places like New Orleans and Baton Rouge since 1895! Most of these towns have no snow removal equipment. This will cripple I-10 from Texas to Florida.
16
74
347
@Wx_Geek
Thomas Kauzlarich
1 year
Iโ€™m glad that I was given the opportunity to orally present research from two different projects at #AMS2025. Itโ€™s great to show what Iโ€™ve been working on to contribute and advance the road weather community forward.
0
0
11
@Wx_Geek
Thomas Kauzlarich
1 year
It was such a pleasure to meet my childhood idol, @JimCantore. From when I was a kid, I tuned into The Weather Channel every night. He is such a pivotal figure in my life, and I was so glad to finally meet him finally after all these years.
1
1
40
@Wx_Geek
Thomas Kauzlarich
1 year
AMS bound
0
0
2