Vorticity4401 Profile Banner
Echo⚡️⛈️ Profile
Echo⚡️⛈️

@Vorticity4401

Followers
220
Following
22K
Media
399
Statuses
5K

Huge Weather geek | 📸Photography | Weird habit of staring at the sky often | 🎸Music enthusiast | occasional shenanigans |🌪️=2

Tennessee, USA
Joined April 2023
Don't wanna be here? Send us removal request.
@Vorticity4401
Echo⚡️⛈️
11 months
What an absolutely unreal year 2024 has been.
0
3
2
@NickKrasz_Wx
Nick Krasznavolgyi
4 hours
At 9:28 PM CST (03:28z) on December 10, 2021, Mayfield, Kentucky was taking a direct hit from a near high-end EF4 tornado. The downtown district was completely destroyed, as well as the Mayfield Consumer Products candle factory. Twenty-two lives were lost in and around the city.
1
20
66
@BrandonCopicWx
Brandon Copic
4 hours
4 years ago tonight I witnessed a violent tornado cross I-55 outside Hayti, MO. Stopped to administer aid to impacted truckers and on a gut instinct grabbed an HPD Officer and searched a field 100 yds east to find a flatted semi and badly injured driver, Ali, clinging to life. We
7
19
182
@Vorticity4401
Echo⚡️⛈️
6 hours
Meant 2-6km FFD precip ventilation* whoops
0
0
1
@Vorticity4401
Echo⚡️⛈️
6 hours
The environment of the historic and destructive Mayfield, KY EF4 four years ago on this night. #wxtwitter ✅0-1km focused SRH >450 m2/s2 w/ high streamwise% ✅2-6km precip FFD ventilation w/ VBV ✅~75 kts 0-6km BWD ✅>1000 MLCAPE ✅Persistent RF nudging ✅165.7 mi track length
2
5
47
@weather_history
Weather History
19 hours
December 10-11, 2021: The worst December outbreak in US history impacted the Midwest and Mid-South. 24 of the 71 confirmed twisters were significant (EF2+). Several dominant multi-state supercells were responsible for intense tornado families. 92 people were killed. #wxhistory
6
73
189
@weather_history
Weather History
2 days
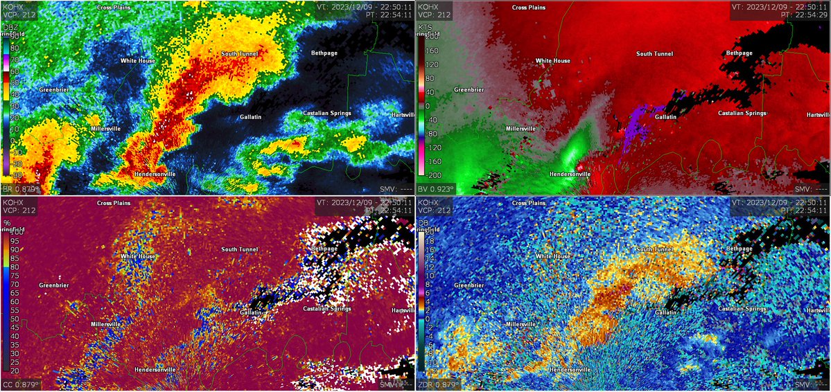
December 9-10, 2023: An outbreak of 17 tornadoes struck the Southeast US. Five tornadoes in Tennessee & Kentucky were significant. Clarksville, TN, was struck by an intense EF3, and in the Nashville metro, an EF2 tore through Hendersonville. Seven people were killed. #wxhistory
0
10
43
@Vorticity4401
Echo⚡️⛈️
2 days
On this day two years ago, a deadly and significant tornado outbreak struck the Nashville, TN metro. While most models did poorly handling the event, this 22z ACARS sounding shows just how crucial 0-1km focused SRH and 3CAPE can be in sig. cold season outbreaks. #wxtwitter
0
2
23
@Vorticity4401
Echo⚡️⛈️
4 days
These were also modified to the observed storm motions for context.
0
0
3
@Vorticity4401
Echo⚡️⛈️
4 days
Two VWPs of the infamous April 27, 2011 Tuscaloosa-Birmingham, Alabama EF4 tornado. It's incredible to see the environment these storms were dealing with. ~700 m2/s2 0-3km SRH, ~500 m2/s2 0-1km SRH, and a largely streamwise environment is how you get EF4+ tornadoes. #wxtwitter
1
7
65
@NickKrasz_Wx
Nick Krasznavolgyi
5 days
Southern Mississippi got quite unlucky in April 2020, with one EF3 and three EF4s impacting the area. Here is a satellite image displaying all four paths.
4
13
148
@CameronJNixon
Cameron Nixon
6 days
Me, two years ago: - smart and capable - doing cool science - a source of lawful good Me, today: here's every sounding for every tornado that has ever happened since 2003
49
38
468
@Vorticity4401
Echo⚡️⛈️
7 days
Four HREF 500mb setups of the largest tornado outbreak sequences from this year. Three of these days produced at least one violent (EF4+) tornado. #wxtwitter 1. March 14th (MDT) 2. March 15th (HIGH) 3. April 2nd (HIGH) 4. May 16th (MDT)
3
7
65
@rehill57
Roger Hill
9 days
2011 FAV: SUPER OUTBREAK! APRIL 27th. What a crazy and unfortunate day for the good people of the southeast. We caught several tornadoes this day. We were sitting in position for the Philadelphia, MS EF5 when a guy in front of us ran off the road into a tree. We HAD to stop and
2
13
112
@featherhates
featherweight.hates
9 days
fun fact this is a RAP sounding that exists. 1 hour after 2018's (likely violent) Capitol, MT EF3
3
3
36
@Vorticity4401
Echo⚡️⛈️
9 days
A nightmarish photo of the Rainsville, Alabama EF5 tornado as it passes by the town of Henagar during the evening of April 27th 2011. #wxtwitter 📸Unknown
11
48
367
@ConvChronicles
Convective Chronicles
10 days
LINK: https://t.co/vm6ecAf3rx Part 2 of my meteorological breakdown of the June 20, 2025, Northern Plains severe weather outbreak is up! In it, Storm Prediction Center meteorologist Chris Broyles discusses the thought process behind the forecast for that day using several
3
27
146
@NickKrasz_Wx
Nick Krasznavolgyi
11 days
Satellite imagery from the April 12, 2020 Chattanooga, TN EF3 tornado. It’s difficult to discern RFD and outer tornado damage, but the zone of apparent convergent damage spans at least 1.6 miles in width. Officially, the tornado’s width is listed as 1,500 yards (0.85 miles).
4
17
141
@Twisted_RBX
Twisted
11 days
The 1.21.2 update is now live! We are aware of an issue with the lobby that did not appear during testing. Everything else should be working as normal though. Enjoy!
14
21
180
@Twisted_RBX
Twisted
12 days
Twisted 1.21.2 Trailer premiering at 8:30 PM EST! https://t.co/KMtPVDgx1c
21
35
199
@Sekai_WX
Sekai Chandra
15 days
Tornadoes in Mexico's northeastern Coahuila Province, which borders SW TX, aren't uncommon. However, this midnight tornado on March 22nd, 2000, was possibly the most violent tornado of the year. Scouring desert/sandy terrain SW of Ciudad Acuna, it tracked N for 25+ miles.
2
12
101