Fan Wang Profile
Fan Wang

@Fan_uts

Followers
504
Following
1K
Media
24
Statuses
180

Lecturer, ARC DECRA Fellow, UTS Chancellor's Postdoctoral Research Fellow #Biophotonics #Nanophotonics #OpticalTweezers #Sydney

Sydney, New South Wales
Joined February 2018
Don't wanna be here? Send us removal request.
@BaoleiLiu
Baolei Liu
1 year
Our latest publication is out in Light: Science & Applications ⁦⁦@LightSciAppl⁩ : Miniaturized on-chip spectrometer enabled by electrochromic modulation.⁦ It enables computational spectrometer with fewer number of filters.⁦@Fan_uts
Tweet card summary image
nature.com
Light: Science & Applications - We demonstrate a computational on-chip spectrometer using electrochromic filter-based computational spectral units that can be electrochemically modulated to...
1
1
8
@aplphotonics
APL Photonics
2 years
Just published in ⁦@aplphotonics⁩ - “High-speed metasurface modulator using perfectly absorptive bimodal plasmonic resonance” | APL Photonics | AIP Publishing
Tweet card summary image
pubs.aip.org
Free-space electro-optic (EO) modulators operating at gigahertz and beyond are attractive for a wide range of emerging applications, including high-speed imagin
0
3
9
@NanoJagadish
Chennupati Jagadish
2 years
Humbled and grateful for this honour
@TMOS_ARC
MetaOptics
2 years
Congrats to TMOS Chief Investigator @NanoJagadish for being elected as a foreign member of the Chinese Academy of Science. His is only the second Australian to have been given this honour, first one being Max Lu. This honour reflects of a long of career of impactful work.
13
4
116
@SaverioIV
Saverio Spagnolie
2 years
It turns out that sparkling water and raisins are *fascinating*. My daughter and I happened upon this effect playing together in the kitchen a long time ago, and I couldn't help but explore the system more deeply... 1/n https://t.co/wNBX7nnGJS
65
602
4K
@Hren2016
Haoran Ren
2 years
Thrilled to be selected as one of finalists for the Rising Stars of Light 23. Thanks for the support from selection committees.
@ChenziGuo
Chenzi Guo (Hilary)
2 years
2
5
38
@Fan_uts
Fan Wang
2 years
optical tweezers regime
@NikoMcCarty
Niko McCarty.
2 years
Day 18 of great biology papers. "Life at Low Reynolds Number," by E.M. Purcell (1976). If you push on a cell, how far will it travel before stopping? About 0.1 angstroms. And it will take just 0.6 microseconds to come to a halt. At small scales, "inertia plays no role
0
0
2
@NikoMcCarty
Niko McCarty.
2 years
Day 18 of great biology papers. "Life at Low Reynolds Number," by E.M. Purcell (1976). If you push on a cell, how far will it travel before stopping? About 0.1 angstroms. And it will take just 0.6 microseconds to come to a halt. At small scales, "inertia plays no role
5
169
847
@weisong_zhao
Weisong Zhao
2 years
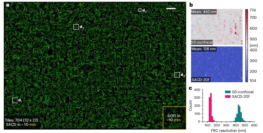
Out at @NaturePhotonics just now! https://t.co/CnuBh8bQoj Very happy to share our latest work, #SACDimaging, enhancing the fluorescence fluctuation detection sensitivity of SOFI by orders of magnitudes. It requires only 20 frames to achieve a >2-fold 3D resolution. (1/n)
5
42
186
@JPhysChem
The Journal of Physical Chemistry
3 years
A quantitative guide to the optimum concentrations of Yb sensitizer & Tm emitter ions at single nanoparticle level. Optimal concentration of Tm varies from 2%-16%, highly dependent on excitation power from 102-107 W/cm2. @shihui_wen @zhou_jiajia @Fan_uts https://t.co/KGD5cfmZiV
Tweet card summary image
pubs.acs.org
Lanthanide-doped upconversion nanoparticles (UCNPs) have enabled a broad range of emerging nanophotonics and biophotonics applications. Here, we provide a quantitative guide to the optimum concentr...
0
4
8
@Fan_uts
Fan Wang
3 years
Multilayer graphene in my balcony, maybe I should twist it to the magic angle to cobtrol the speed of drying up.
0
0
30
@ChenziGuo
Chenzi Guo (Hilary)
3 years
2022Rising Stars of Light is coming and bringing PhD track for the first time, deadline: 15th August, apply now! Details at https://t.co/bXeLdNLs4t @InnovateUCLA @chaoyanglu @andrea_alu @DNeshev @NicholasFang10 @ProfMartinJBoo1 @shuosun_quantum @LightSciAppl @iCANX_Talks
0
12
30
@Mesenchymalboy
Shubham Garg
4 years
27
811
5K
@m_ugeda
Miguel M. Ugeda
4 years
“The authors present a follow-up result with no new physics…”, referee #2 said.
22
114
2K
@EvanKirstel
Evan Kirstel #B2B #TechFluencer
4 years
🧪 🧫 🧬 ⚡️ Superheroes of Science!
1
4
27
@NatureNano
Nature Nanotechnology
4 years
New content online: Migrating photon avalanche in different emitters at the nanoscale enables 46th-order optical nonlinearity https://t.co/OBRxHkVBnJ
1
5
11
@nagiblab
nagib lab
4 years
Incredibly lucky to have friends like these…
34
82
1K
@OdedRechavi
Oded Rechavi
4 years
Research proposal Vs. actual PhD
36
346
4K
@ArnoldLiningJu
Prof Arnold Lining Ju
4 years
Super cool biomedical science illustration😀😃
@BradKrajina
Brad Krajina
4 years
This year, I committed my time after lab to building a science art portfolio. The process of creating each piece was a lot like scientific research: grasping in the dark, slowly watching it take shape into something a little different from what I originally set out to achieve.
1
1
14
@EvanKirstel
Evan Kirstel #B2B #TechFluencer
4 years
🤯 Teller's Incredible Shadow Magic! 🪄
7
63
195
@Fan_uts
Fan Wang
4 years
I am honoured and to receive the iCANX young scientist award alongside incredible people! Thanks my mentors, my group members and my collaborators, as well as committee members! @iCANX_Talks @UTSResearch
5
0
40