massimoaria Profile Banner
Massimo Aria Profile
Massimo Aria

@massimoaria

Followers
346
Following
983
Media
37
Statuses
798

Full Professor of Statistics, Univ. Federico II. #bibliometrics, #datascience #machinelearning, Creator of #bibliometrix R-package, Co-founder of K-synth.

Naples, Italy
Joined November 2011
Don't wanna be here? Send us removal request.
@bibliometrix
bibliometrix
2 months
πŸ€– bibliometrix 5.2.0: AI-Powered Article Summaries Quickly grasp the essence of papers in your dataset: Automatic summaries generation Save time in LR Powered by AI language models #ArtificialIntelligence #LiteratureReview #bibliometrix #biblioshiny
0
2
4
@bibliometrix
bibliometrix
2 months
πŸ‘€ Discover bibliometrix 5.2.0: Author Profile Feature Explore author impact using OpenAlex data: Publication history Citation metrics Co-authorship networks Research topics & trends Comprehensive author analysis at your fingertips! #OpenAlex #biblioshiny #Bibliometrix #rstats
0
1
2
@bibliometrix
bibliometrix
2 months
πŸ”„ New in bibliometrix 5.2.0: Enhanced Thematic Evolution Now with automatic path detection! πŸ“·Identifies thematic paths over time Tracks research topic transitions Visualizes knowledge evolution Detects emerging/declining themes #ScienceMapping #bibliometrix #biblioshiny
1
3
5
@bibliometrix
bibliometrix
2 months
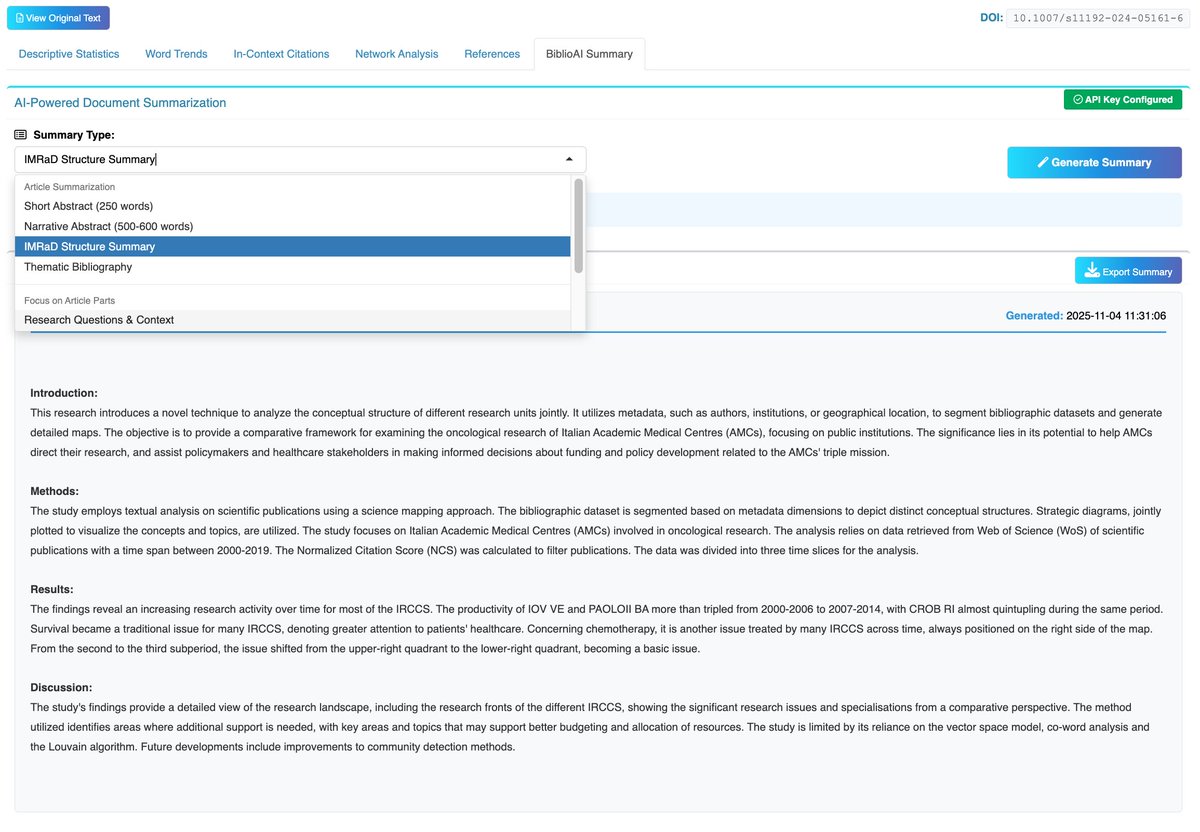
πŸ“Š Deep dive into bibliometrix 5.2.0: Content Analysis Brings powerful text mining capabilities to Biblioshiny: PDF text Extraction with AI In-Context Citation Analysis Structured Summarizations Analyze your corpus without leaving the interface! #RStats #bibliometrix #biblioshiny
0
2
4
@joel_alway
Joel Alhuay πŸ‡΅πŸ‡ͺ
8 months
πŸ“’ III Edizione italiana: SUMMER SCHOOL IN SCIENCE MAPPING. SLR con #Bibliometrix e #Biblioshiny 26-30 maggio, 2025 - Napoli βœ… 1 millΓ³n de descargas (Mayo, 2025) πŸ“Œ Novedad: TALL - Text Analysis for ALL @massimoaria #Scientometrics #ScienceMap #rsoftware #SSSM2025
1
1
1
@bibliometrix
bibliometrix
2 months
πŸŽ‰ bibliometrix 5.2.0 is now on CRAN! New features in Biblioshiny include: ✨ AI-powered article summaries πŸ‘€ Author Profile (OpenAlex data) πŸ” API Search & Download for OpenAlex & PubMed πŸ“Š Content Analysis menu πŸ“ˆ Life Cycle Analysis menu #rstats #bibliometrix #biblioshiny
0
6
10
@lucada94
Luca D’Aniello
1 year
πŸ“’Glad to announce our work on an innovative proposal for exploring conceptual structures is now published in such a top journal - Scientometrics! Proud to be part of this amazing team! πŸŽ‰ πŸ“Check it out!πŸ‘‡ https://t.co/DBur4Uul2U @massimoaria @bibliometrix
Tweet card summary image
link.springer.com
Scientometrics - Textual analyses on scientific publications are increasingly employed in Bibliometrics to explore the conceptual structure of a research domain, often overlooking other rich...
0
2
9
@bibliometrix
bibliometrix
1 year
bibliometrix 4.3.0 is out! Biblioshiny now allows data merging from different databases. Have fun!! #wos #scopus #lens #openalex #pubmed #dimensions #cochrane #bibliometrics #bibliometrix #biblioshiny #sciencemapping https://t.co/eer7kENR8w
0
32
66
@yjunechoe
June Choe
3 years
I learned so much contributing to {openalexR} and I'm excited to see it on @rOpenSci ! It's become an indispensable tool for my literature reviews and I hope you give it a try too! Many thanks to @trangdata and @massimoaria for reviewing my PRs and entertaining my suggestions πŸ˜ƒ
@rOpenSci
rOpenSci
3 years
rOpenSci is proud to welcome a new package to our software suite!πŸŽ‰ openalexR: Getting Bibliographic Records from 'OpenAlex' Database Using 'DSL' API by @massimoaria and @trangdata Docs: https://t.co/kArJ5DVOtd Peer review: https://t.co/OgiX9mIIx2 #RStats (1/2)
0
2
7
@lucada94
Luca D’Aniello
2 years
Today, I presented K-Synth, my research, and TALL at U-CHASS research unit @CanalUGR! It was incredibly motivating to receive such enthusiastic responses!πŸŽ‰ Big thanks to @nrobinsongarcia for the opportunity and to my supervisors @massimoaria & @CorrCuccurullo for their support!
0
1
6
@bibliometrix
bibliometrix
2 years
II Edizione italiana SUMMER SCHOOL IN SCIENCE MAPPING Produrre SLR con Bibliometrix e Biblioshiny 27-31 maggio, 2024 - Napoli sssm@bibliometrix.com https://t.co/2owuPMr2jF #bibliometrix #summerschool #scholar #science #research #rlanguage #rstats #scienceweek
0
5
7
@massimoaria
Massimo Aria
2 years
Sono aperte le iscrizioni alla SSSM 2024
@bibliometrix
bibliometrix
2 years
II Edizione italiana SUMMER SCHOOL IN SCIENCE MAPPING Produrre SLR con Bibliometrix e Biblioshiny 27-31 maggio, 2024 - Napoli sssm@bibliometrix.com https://t.co/2owuPMr2jF #bibliometrix #summerschool #scholar #science #research #rlanguage #rstats #scienceweek
0
3
5
@MassiveAttackUK
Massive Attack
3 years
146
1K
8K
@hug_sven
Sven E. Hug
3 years
There is a new and exciting alternative to Google Scholar: OpenAlex, the second largest database after Google Scholar, launched the beta version of its web GUI today. Go check it out! Congratulations to the OpenAlex team! πŸ₯³ πŸ‘ https://t.co/wi1zQfy2sz
23
359
1K
@massimoaria
Massimo Aria
3 years
Restano pochissimi posti disponibili per la nostra summer school su Systematic literature review con bibliometrix e biblioshiny. Il primo corso in italiano tenuto dai creatori di uno dei tool di science mapping piΓΉ utilizzati al mondo #bibliometrix #biblioshiny
0
1
7
@trangdata
Trang Le
3 years
So grateful that I got to work on openalexR to interface with the incredible @OpenAlex_org collection. Thank you, @massimoaria, for welcoming my contribution! 🌱 And @yjunechoe for the valuable discussions! πŸ’« Still can't believe that it's now on @rOpenSci. 😱
@rOpenSci
rOpenSci
3 years
rOpenSci is proud to welcome a new package to our software suite!πŸŽ‰ openalexR: Getting Bibliographic Records from 'OpenAlex' Database Using 'DSL' API by @massimoaria and @trangdata Docs: https://t.co/kArJ5DVOtd Peer review: https://t.co/OgiX9mIIx2 #RStats (1/2)
2
4
8
@ADeLaurentiis
AurelioDeLaurentiis
3 years
πŸ‘πŸ‘πŸ‘πŸ‘πŸ‘πŸ‘πŸ‘πŸ‘πŸ‘πŸ‘πŸ‘πŸ‘πŸ‘
539
920
13K
@bibliometrix
bibliometrix
3 years
1Β° Edizione Italiana Summer School in Science Mapping (SSSM 2023) "Produrre Systematic Literature Review con Bibliometrix e Biblioshiny" 26-30 giugno, 2023 - Napoli Info e iscrizioni: https://t.co/2owuPMrA9d #bibliometrix #summerschool #sciencemapping #biblioshiny
3
12
19
@massimoaria
Massimo Aria
3 years
0
0
1