Storm_GPS Profile Banner
📡Storm-GPS Profile
📡Storm-GPS

@Storm_GPS

Followers
2K
Following
3K
Media
4K
Statuses
10K

Hyper local Severe Storm Forecasting with NOW-GPS / Storm Command Center / Street Level ETA's / Cloud AI / Galatians 5:22-23 📡 Locate 🌎 See 📊 Share

Protecting Lives, Assets
Joined July 2010
Don't wanna be here? Send us removal request.
@Storm_GPS
📡Storm-GPS
2 months
The dreaded turn north 🔻for Hurricane Melissa. Record books 175 MPH direct hit by eye wall around Treasure Beach, Jamaica 9 to 10AM EST... The most prolific Hurricane Observer in modern times @iCyclone is in Treasure Beach. Prayers up 🙏for Jamaica...
0
2
8
@TheInsiderPaper
Insider Paper
25 days
NEW: Raccoon gets drunk at a Virginia liquor store and passes out in bathroom
47
149
822
@Storm_GPS
📡Storm-GPS
1 month
STORM-GPS provided 30 Minutes Advance Warning into Tornado Damage area... #txwx
2
1
4
@Storm_GPS
📡Storm-GPS
1 month
Confirmed Tornado in the Spring, TX area. Take cover now. #txwx
0
0
6
@AZStormChase
Spike Davis
1 month
A Timelapse of today’s supercell that tracked through the western side of Phoenix. Pretty rare to get this structure in the desert! #azwx
16
169
1K
@Storm_GPS
📡Storm-GPS
1 month
Not very often you see hail covering the streets in Arizona!!!
@SchwartzTV
Ian Schwartz
1 month
WOW! Severe storm covers the street with hail in Phoenix. Looks like snow! Miguel Roman shot this near 100th Ave and Lower Buckeye. (11/19) #azwx #azfamily
0
0
2
@Storm_GPS
📡Storm-GPS
2 months
Wish this didn't happen... Jamaica needs your thoughts and prayers...
@Storm_GPS
📡Storm-GPS
2 months
The dreaded turn north 🔻for Hurricane Melissa. Record books 175 MPH direct hit by eye wall around Treasure Beach, Jamaica 9 to 10AM EST... The most prolific Hurricane Observer in modern times @iCyclone is in Treasure Beach. Prayers up 🙏for Jamaica...
0
0
0
@Storm_GPS
📡Storm-GPS
2 months
Have to agree with Auren. What do you think?
@auren
Auren Hoffman
2 months
Tech has the fewest assholes per capita. Politics has the most
0
0
0
@Storm_GPS
📡Storm-GPS
2 months
Potential Severe Weather for the Nashville area today. Storms beginning to form to the West ... Stay #Weatheraware... #tnwx
0
0
4
@Storm_GPS
📡Storm-GPS
2 months
The amount of damage in Jamaica is stunning...
@CRAIGGOFRASS
Super Saiyan
2 months
If this bitch went directly from nmia to mbj there would be no island left. That’s the reality.
0
0
4
@Storm_GPS
📡Storm-GPS
2 months
Utter Destruction. Pray for Jamaica.
@WxNB_
Nahel Belgherze
2 months
NEW: Devastating imagery from Jamaica, before & after Category 5 Hurricane Melissa. White House — Landfall point.
0
0
1
@Storm_GPS
📡Storm-GPS
2 months
#Tornado Warning for Silsbee, TX. headed towards Buna. 🔻Here is Advanced Warning Corridor. Take cover now. #txwx...
0
1
5
@Storm_GPS
📡Storm-GPS
2 months
This 🔻might be the most in-depth satellite view of a Hurricane ever captured. 🙏 For Jamaica.
satlib.cira.colostate.edu
0
0
1
@Storm_GPS
📡Storm-GPS
2 months
This 🔻structure is unbelievable!
@CIRA_CSU
CIRA
2 months
Simply incredible imagery of Hurricane Melissa this morning as it approaches Jamaica.
0
0
2
@Storm_GPS
📡Storm-GPS
2 months
Here 🔻is a Google Earth view of Treasure Beach, Jamaica. 🙏
0
1
3
@Storm_GPS
📡Storm-GPS
2 months
This truly amazing...
@ExtremeStorms
Jim Edds
2 months
I've never seen this before - both planes AFR WC130 & NOAA P3 double barrel core punching. Hurricane Melissa near Jamaica
0
2
4
@Storm_GPS
📡Storm-GPS
2 months
Here 🔻are the intense outer rain bands that are starting to enter Jamaica from Hurricane Melissa. Up to 30 inches of rain is expected. A major disaster of epic proportions is starting to unfold. Prayers 🙏 for Jamaica. @iCyclone
0
2
5
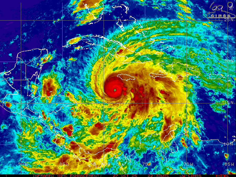
@Storm_GPS
📡Storm-GPS
2 months
Here is eye 🔻of Hurricane Melissa. Absolutely stunning. Unfortunately, this storm is going to go down in the record books. Prayers 🙏for Jamaica.
0
3
12
@Storm_GPS
📡Storm-GPS
2 months
Our Corridors were spot on providing advance warning before this crossed I - 10. Here🔻 is our Corridors...
@LiveCamChaser
LiveCamChaser
2 months
Whoa! Here’s a clip from a Live Traffic Cam just outside of Moss Point, #Mississippi moments ago as a #Tornado Warned Storm approached. 😮 #mswx @NWSNewOrleans
0
2
4