zeb199818 Profile Banner
Ben Profile
Ben

@zeb199818

Followers
1K
Following
677
Media
2K
Statuses
3K

Satellite Images (Himawari/GOES/Meteosat ....) Model Figures (GFS/ECMWF/ICON/CMC) Tropical Storms/Typhoons/Hurricanes/Cyclones

Taiwan
Joined March 2012
Don't wanna be here? Send us removal request.
@zeb199818
Ben
24 days
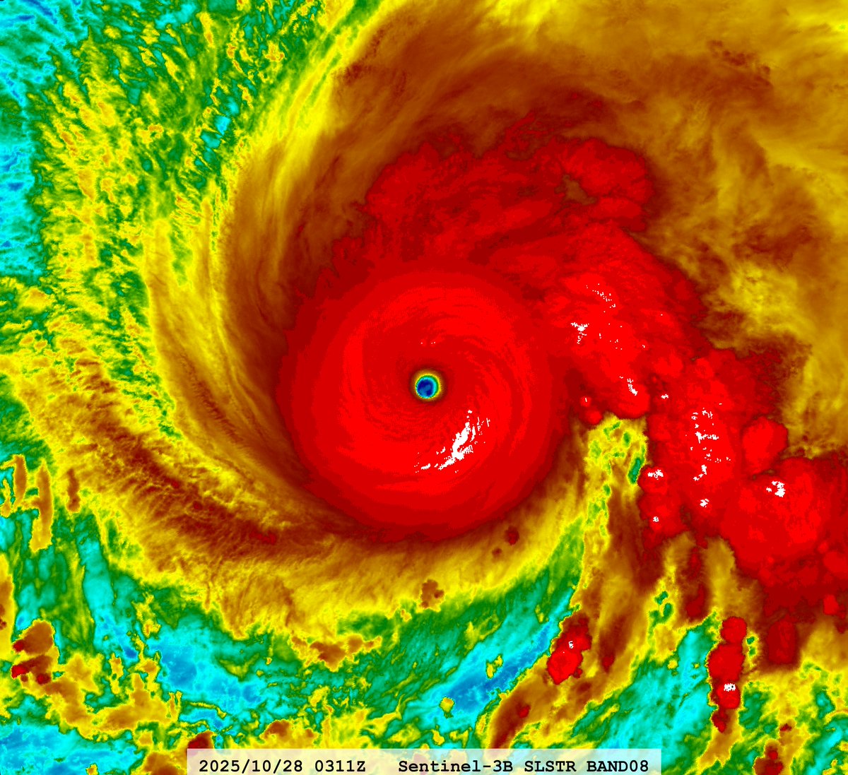
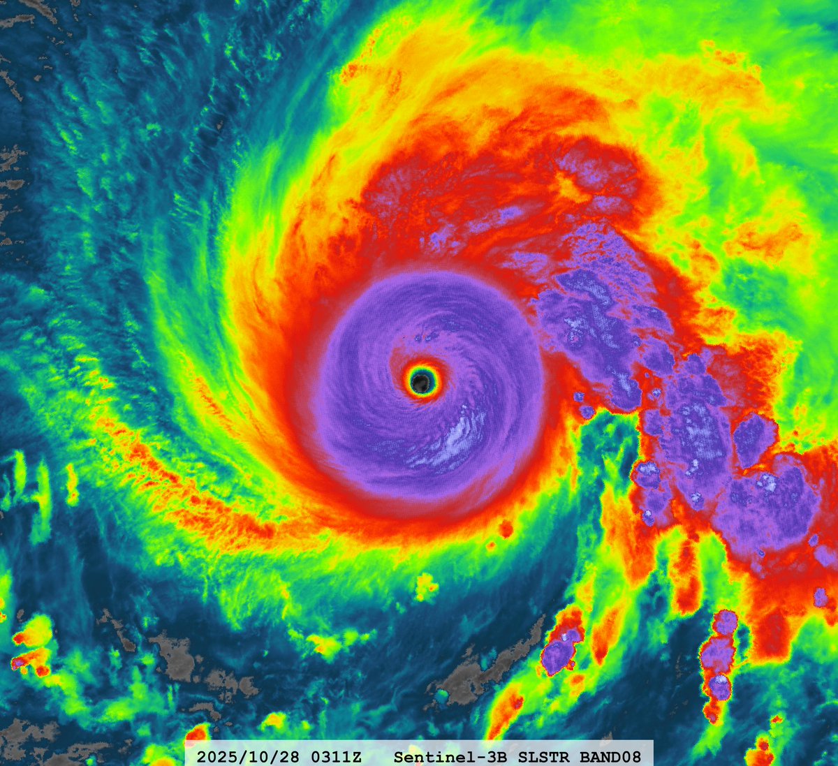
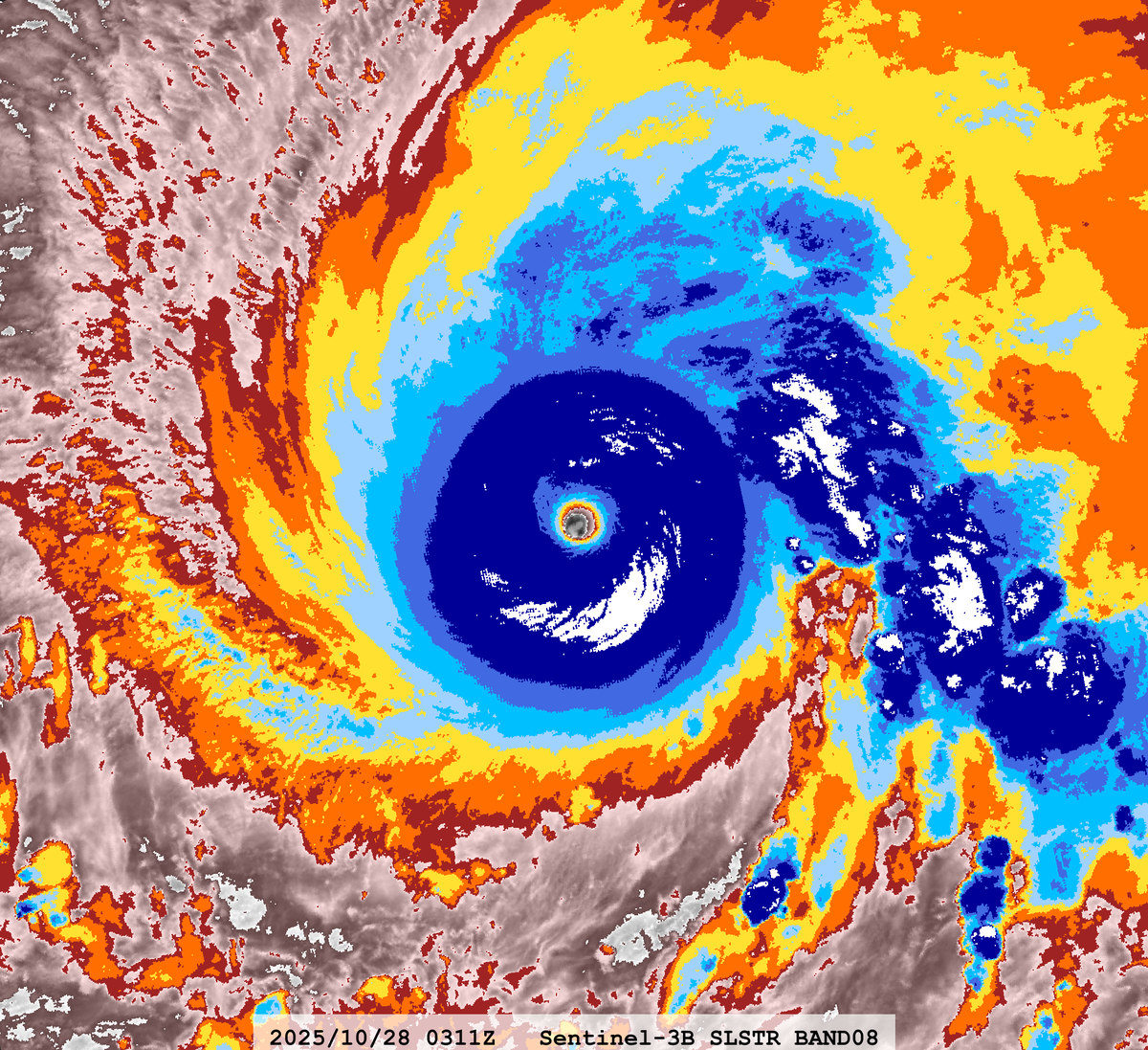
#13L Hurricane #MELISSA Satellite: #Sentinel3B #SLSTR #OLCI Channel : #SLSTR S8 (10.854 µm) 1-km Time : 2025/10/28 0311Z Eye Temp : 24.43 °C Data Source : Copernicus L1B CPA : ~180 km
0
4
26
@zeb199818
Ben
17 days
#HAFS #32W 2025/11/4 +99h 872.5hPa 177.5kt
0
5
38
@zeb199818
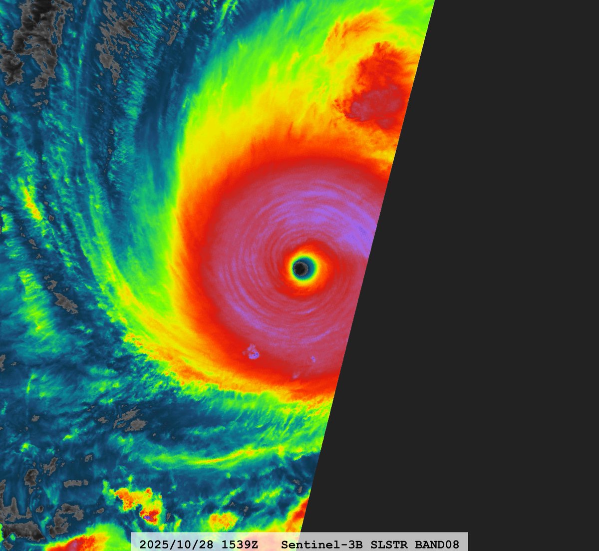
Ben
24 days
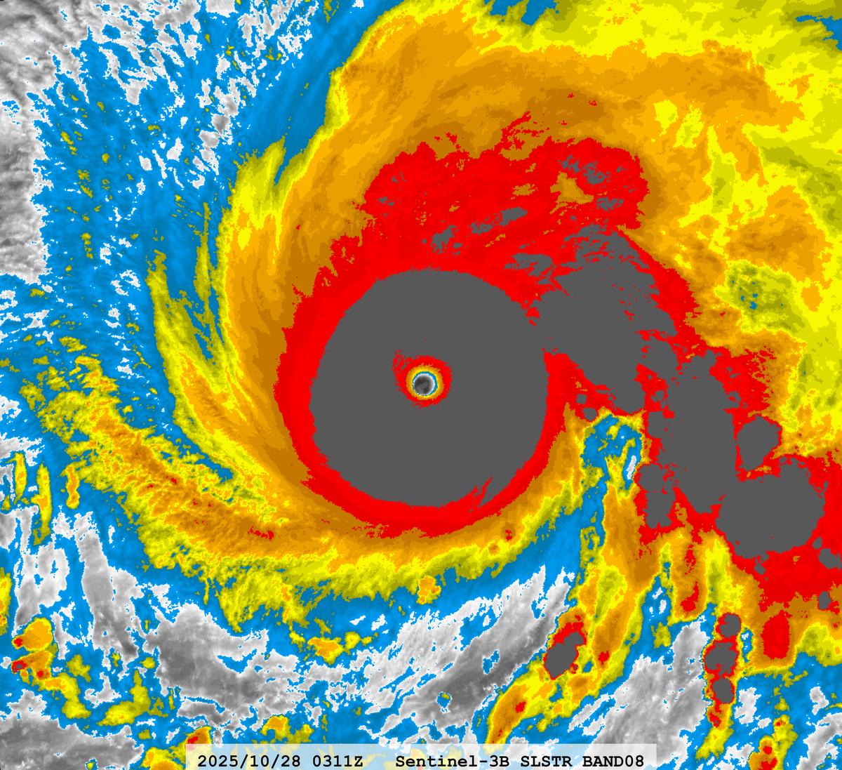
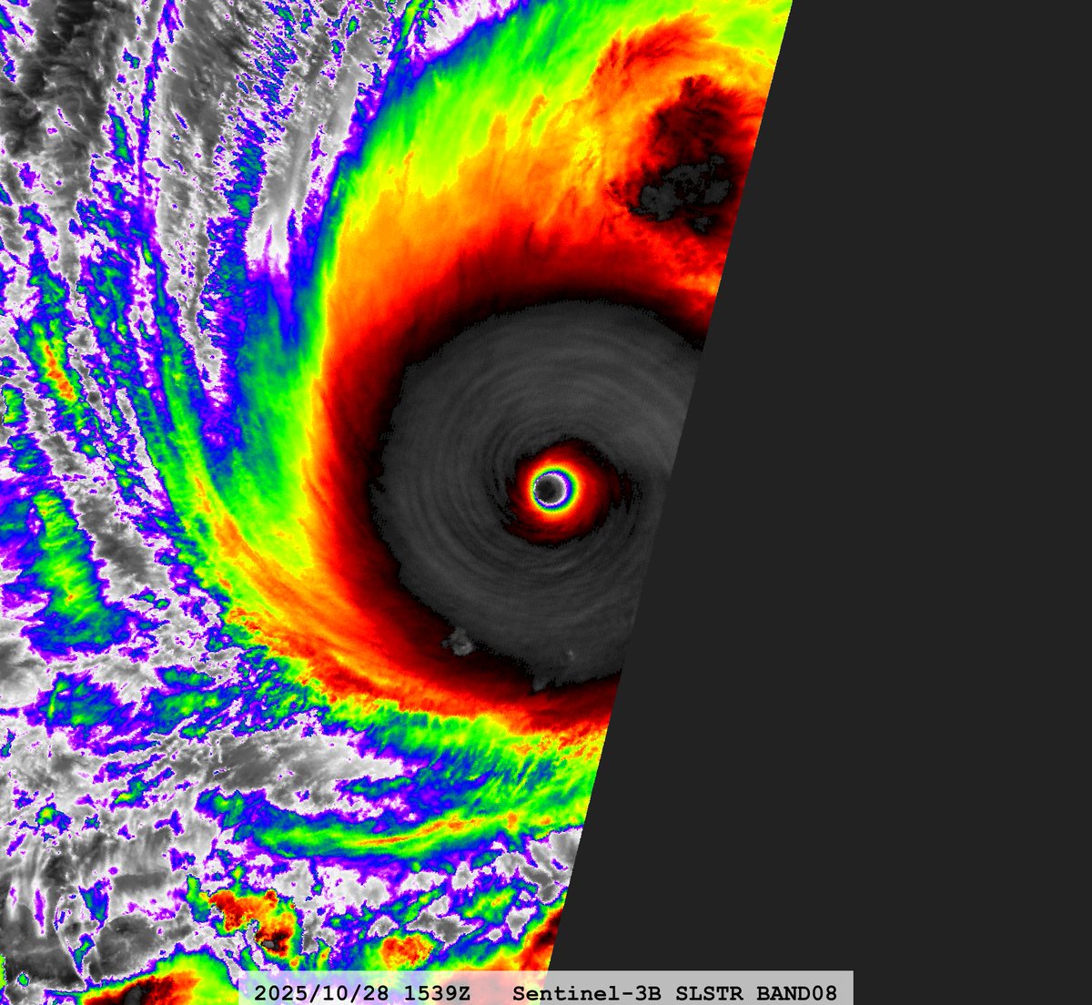
#13L Hurricane #MELISSA Satellite: #Sentinel3B #SLSTR Channel : #SLSTR S8 (10.854 µm) 1-km Time : 2025/10/28 1539Z Eye Temp : 23.53 °C Data Source : Copernicus L1B CPA : ~400 km
0
1
4
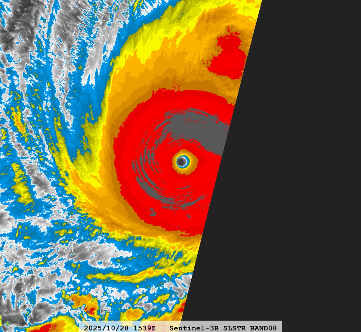
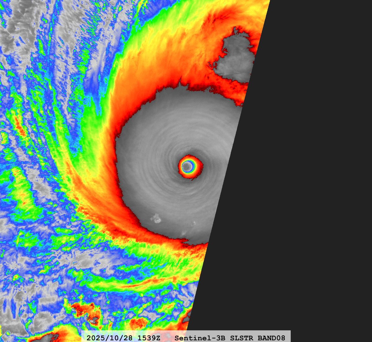
@zeb199818
Ben
24 days
#13L Hurricane #MELISSA Satellite: #Sentinel3B #SLSTR #OLCI Channel : #SLSTR S8 (10.854 µm) 1-km Time : 2025/10/28 1539Z Eye Temp : 23.53 °C Data Source : Copernicus L1B CPA : ~400 km
0
1
4
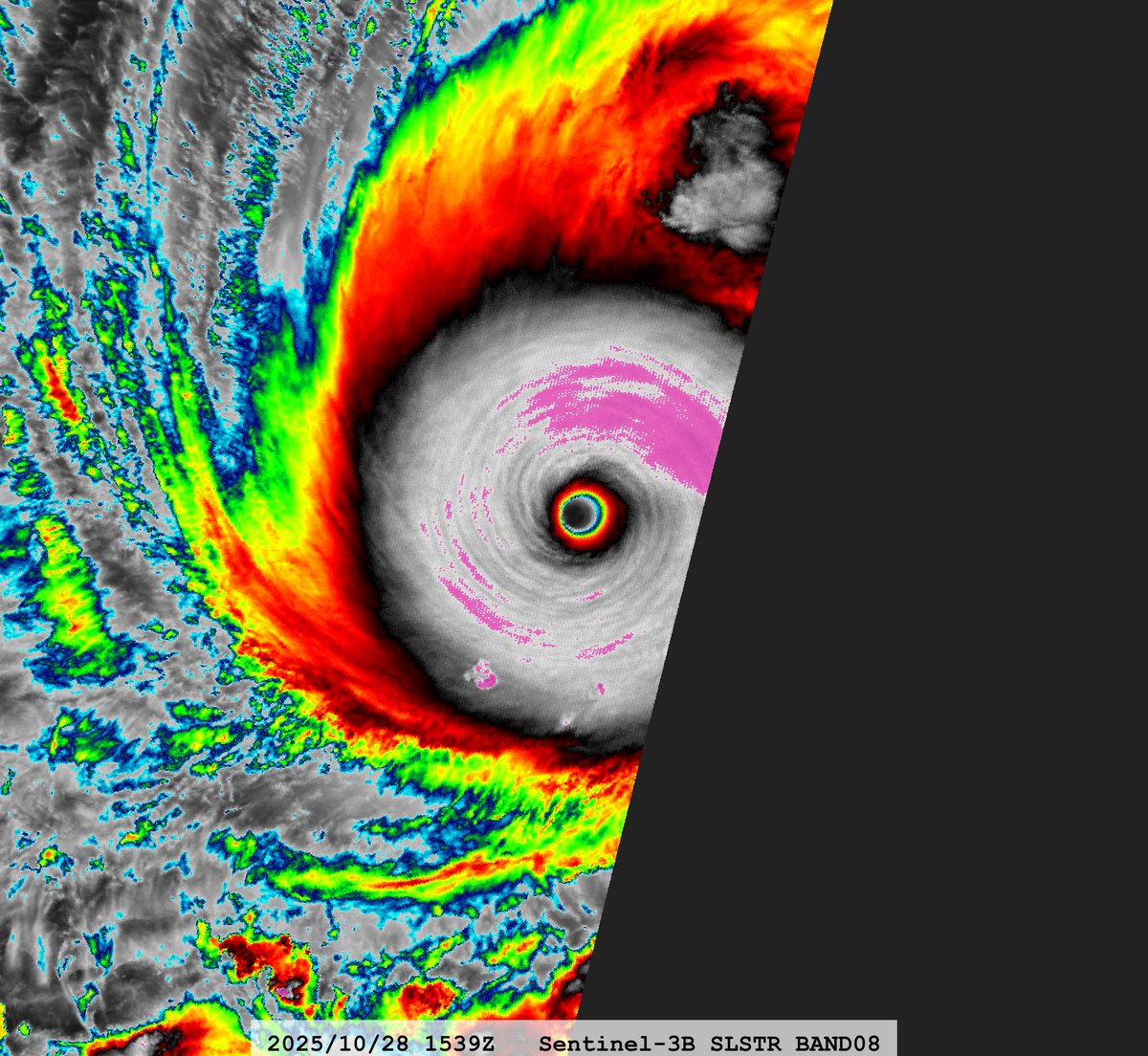
@zeb199818
Ben
24 days
#13L Hurricane #MELISSA Satellite: #Sentinel3B #SLSTR #OLCI Channel : #SLSTR S2 (0.659 µm) 500-m #SLSTR S8 (10.854 µm) 1-km Time : 2025/10/28 1539Z Eye Temp : 23.53 °C Data Source : Copernicus L1B CPA : ~400 km
1
3
15
@zeb199818
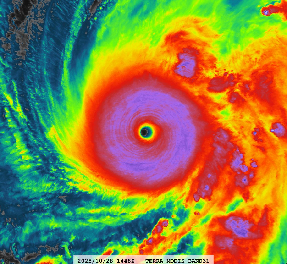
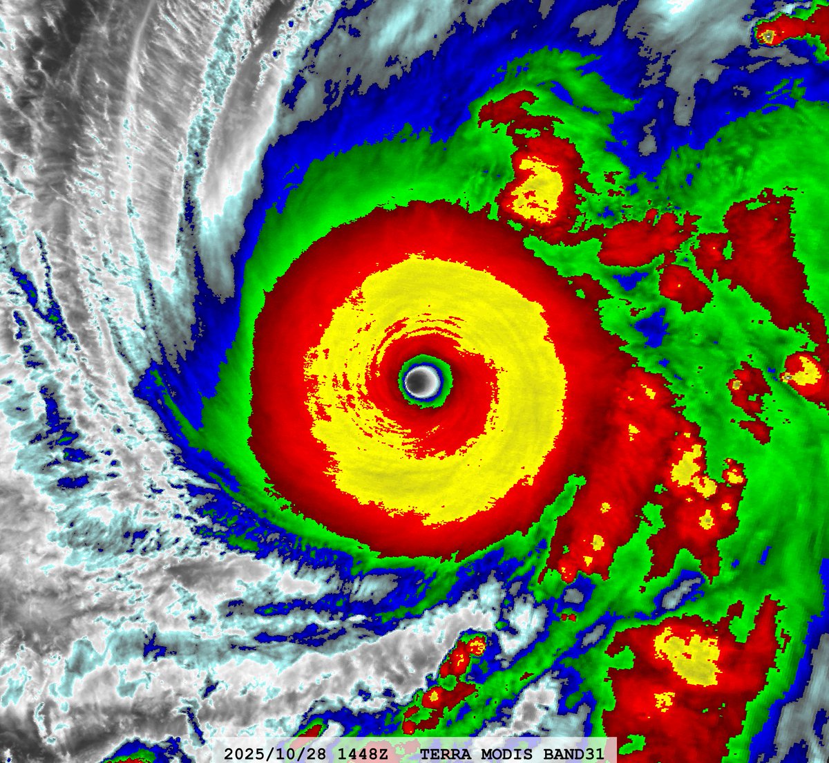
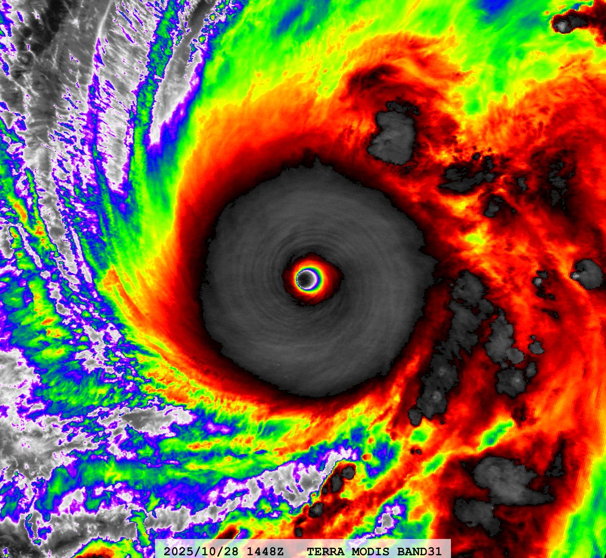
Ben
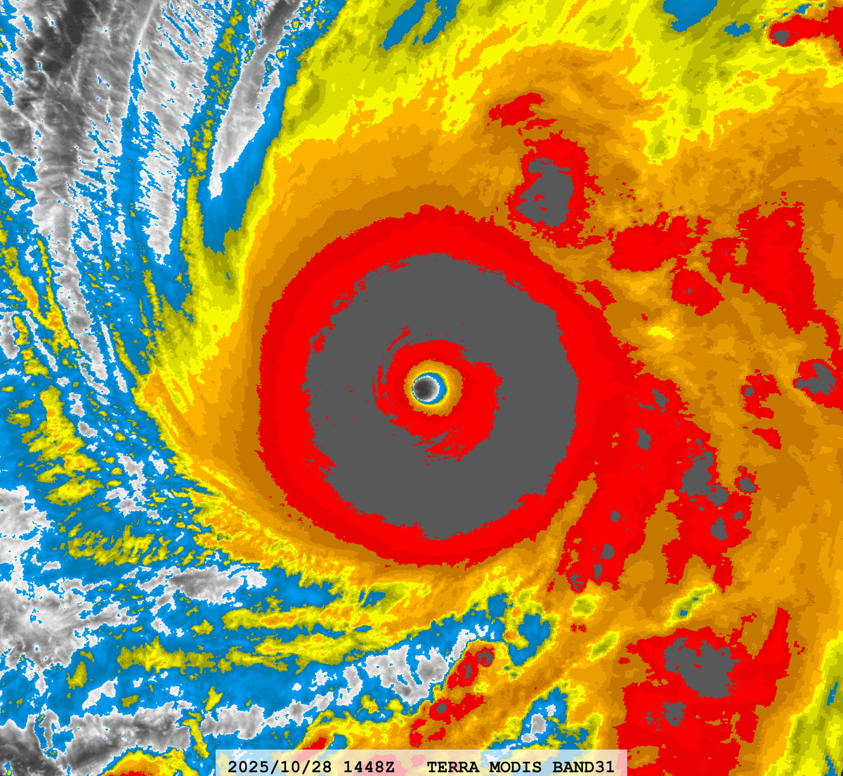
24 days
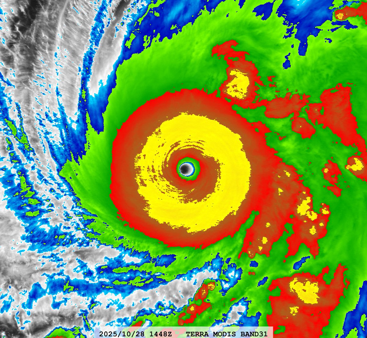
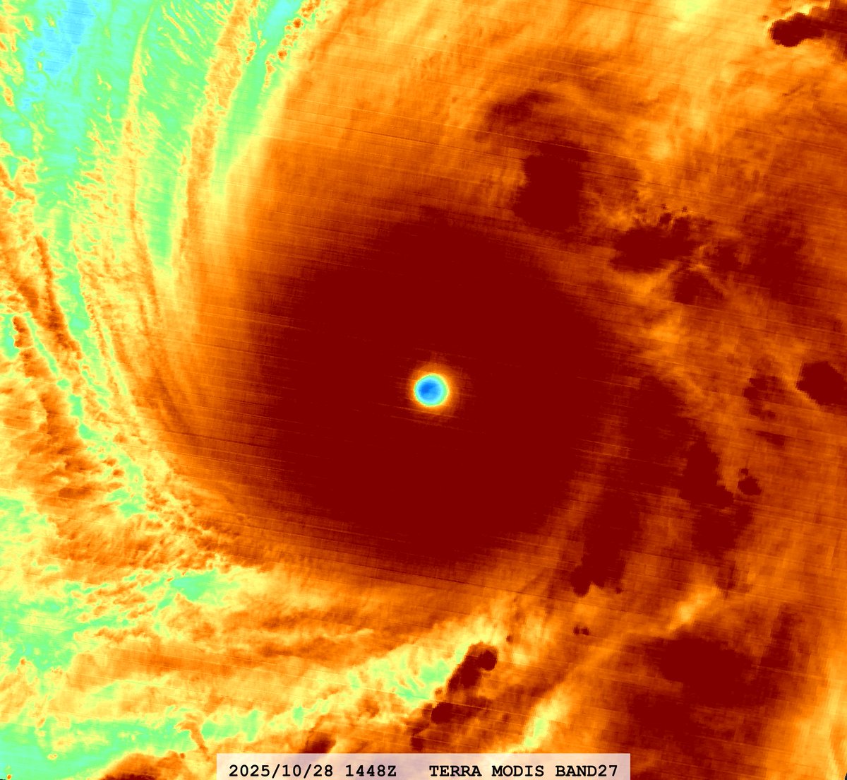
#13L Hurricane #MELISSA Satellite: #TERRA #MODIS Channel : BAND-01 (0.645 µm) 250-m BAND-27 (6.715 µm) 1-km BAND-31 (11.030 µm) 1-km Time : 2025/10/28 1448Z Eye Temp (IR) : 23.88 °C Eye Temp (WV) : -10.918 °C CPA : ~420 km Data Source : LANCE Near Real Time (NRT) L1B
0
2
7
@zeb199818
Ben
24 days
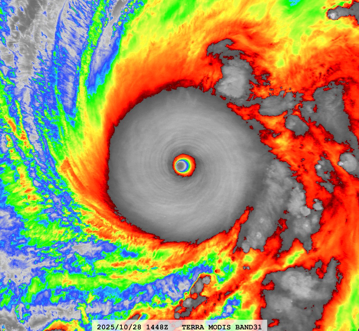
#13L Hurricane #MELISSA Satellite: #TERRA #MODIS Channel : BAND-27 (6.715 µm) 1-km BAND-31 (11.030 µm) 1-km Time : 2025/10/28 1448Z Eye Temp (IR) : 23.88 °C Eye Temp (WV) : -10.918 °C CPA : ~420 km Data Source : LANCE Near Real Time (NRT) L1B
0
0
2
@zeb199818
Ben
24 days
#13L Hurricane #MELISSA Satellite: #TERRA #MODIS Channel : BAND-27 (6.715 µm) 1-km BAND-31 (11.030 µm) 1-km Time : 2025/10/28 1448Z Eye Temp (IR) : 23.88 °C Eye Temp (WV) : -10.918 °C CPA : ~420 km Data Source : LANCE Near Real Time (NRT) L1B
0
0
7
@zeb199818
Ben
24 days
#13L Hurricane #MELISSA Satellite: #TERRA #MODIS Channel : BAND-01 (0.645 µm) 250-m BAND-27 (6.715 µm) 1-km BAND-31 (11.030 µm) 1-km Time : 2025/10/28 1448Z Eye Temp (IR) : 23.88 °C Eye Temp (WV) : -10.918 °C CPA : ~420 km Data Source : LANCE Near Real Time (NRT) L1B
0
0
6
@zeb199818
Ben
24 days
#13L Hurricane #MELISSA S eyewall Max Flight Level Wind (30s): 153.0 kts Max Flight Level Wind (10s): 173.0 kts Extrapolated Lowest MSLP: 892.5 hPa
0
5
14
@zeb199818
Ben
24 days
#13L Hurricane #MELISSA DROP:893mb 13kt ~ 892mb
0
0
5
@zeb199818
Ben
24 days
#13L Hurricane #MELISSA Extrapolated Lowest MSLP: 892.3 hPa
0
5
17
@zeb199818
Ben
24 days
#13L Hurricane #MELISSA Extrapolated Lowest MSLP: 893.6 hPa
0
1
8
@zeb199818
Ben
24 days
#13L Hurricane #MELISSA Extrapolated Lowest MSLP: 893.4 hPa
0
7
13
@zeb199818
Ben
24 days
#13L Hurricane #MELISSA 700-mb Flight level wind: SE eyewall : 165 kt Extrapolated Lowest MSLP: 893.5 hPa
0
2
9
@zeb199818
Ben
24 days
#13L Hurricane #MELISSA Satellite: #Sentinel3B #SLSTR #OLCI Channel : #SLSTR S8 (10.854 µm) 1-km Time : 2025/10/28 0311Z Eye Temp : 24.43 °C Data Source : Copernicus L1B CPA : ~180 km
0
2
5
@zeb199818
Ben
24 days
#13L Hurricane #MELISSA Satellite: #Sentinel3B #SLSTR #OLCI Channel : #SLSTR S8 (10.854 µm) 1-km Time : 2025/10/28 0311Z Eye Temp : 24.43 °C Data Source : Copernicus L1B CPA : ~180 km
0
1
6
@zeb199818
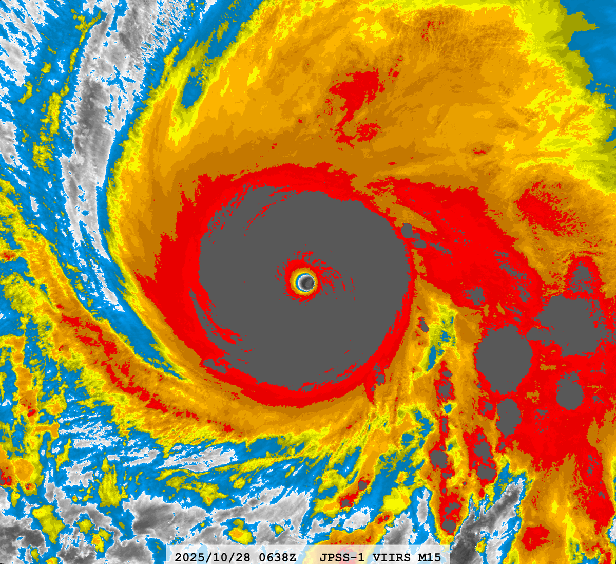
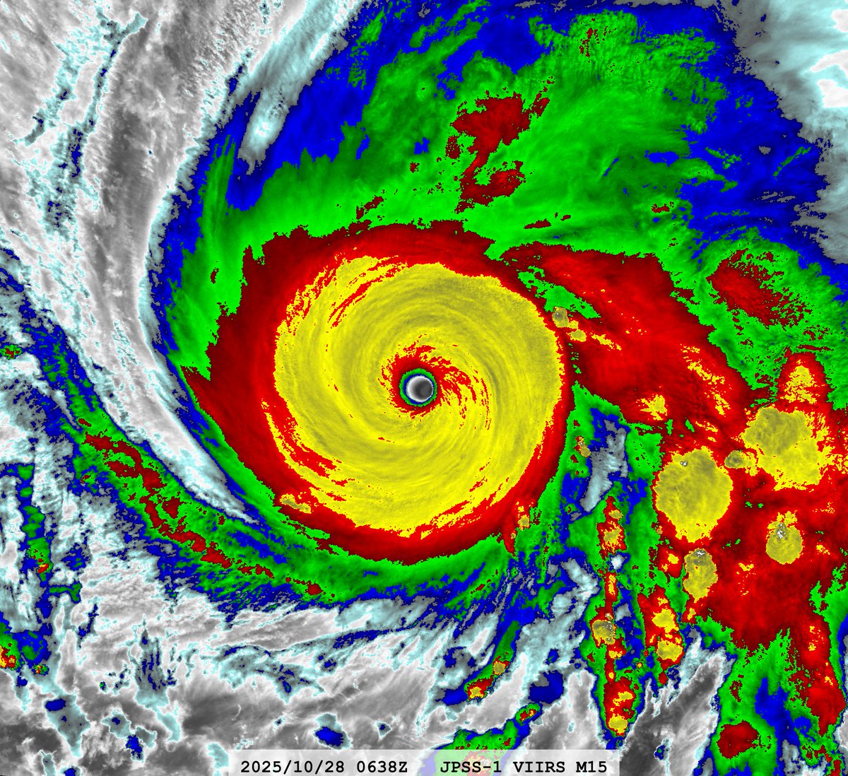
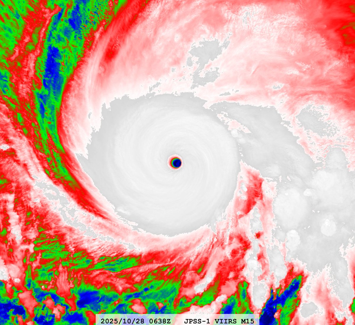
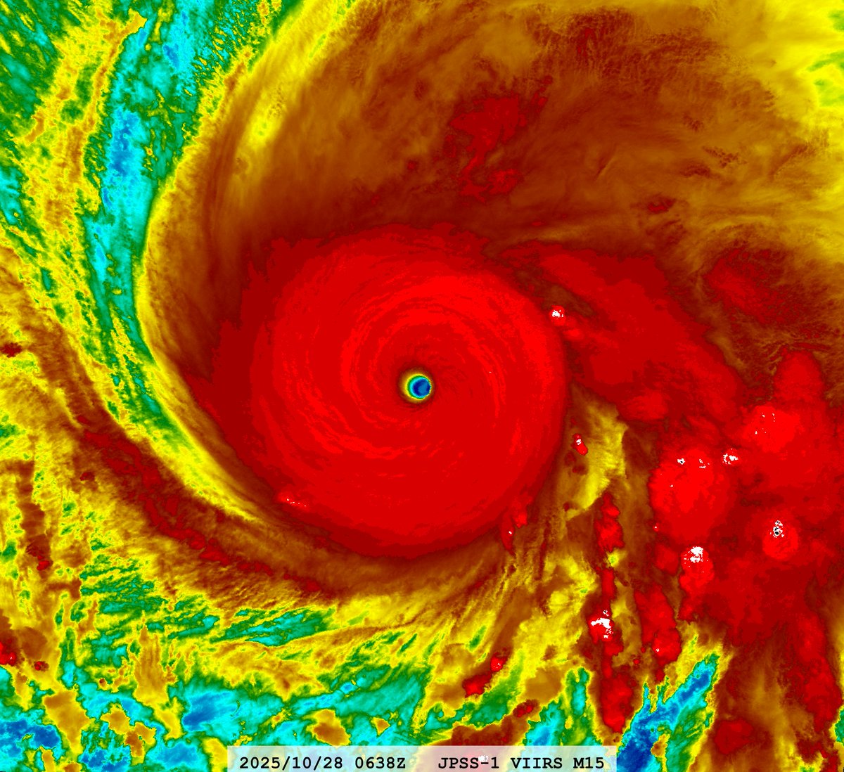
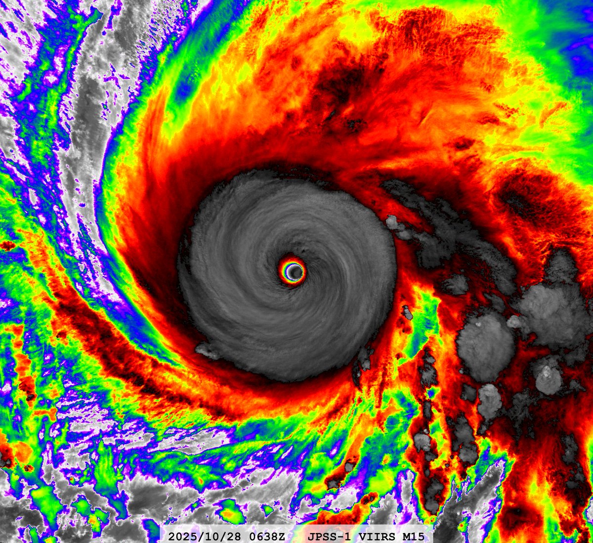
Ben
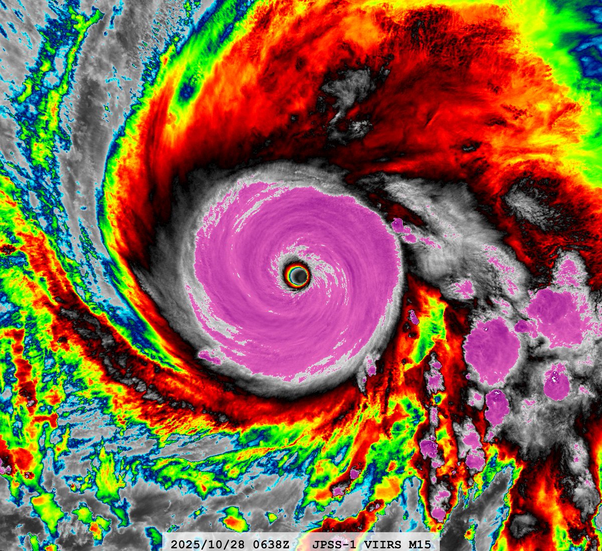
25 days
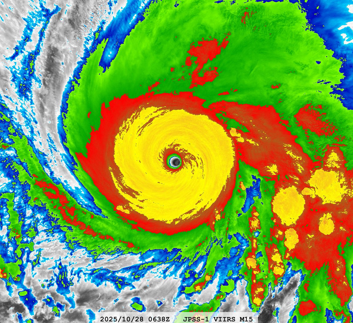
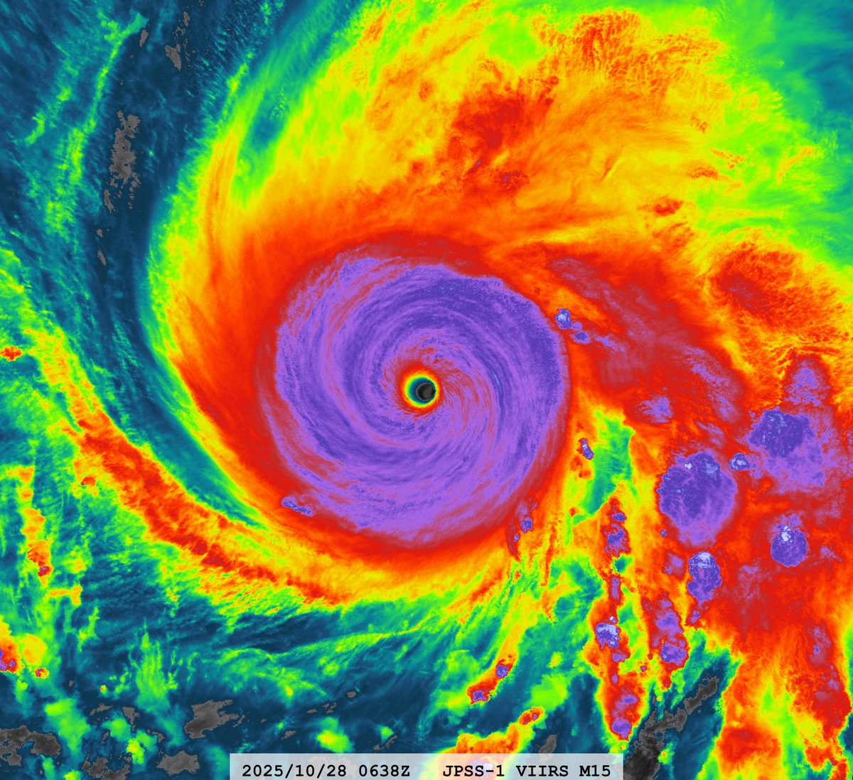
#13L Hurricane #MELISSA Satellite: #NOAA20 #JPSS1 #VIIRS Channel : M15 (10.763 µm) 750-m Time : 2025/10/28 0638Z Eye Temp : 23.875 °C Data Source : Amazon S3 Bucket SDR CPA : ~280 km
0
0
2
@zeb199818
Ben
25 days
#13L Hurricane #MELISSA Satellite: #NOAA20 #JPSS1 #VIIRS Channel : M15 (10.763 µm) 750-m Time : 2025/10/28 0638Z Eye Temp : 23.875 °C Data Source : Amazon S3 Bucket SDR CPA : ~280 km
0
0
3
@zeb199818
Ben
25 days
#13L Hurricane #MELISSA Satellite: #NOAA20 #JPSS1 #VIIRS Channel : M15 (10.763 µm) 750-m Time : 2025/10/28 0638Z Eye Temp : 23.875 °C Data Source : Amazon S3 Bucket SDR CPA : ~280 km
0
0
4