ro_ket Profile Banner
Rob Ketcherside Profile
Rob Ketcherside

@ro_ket

Followers
411
Following
1K
Media
557
Statuses
2K

Not posting here since 2022. Scouting, Seattle history, LEGO fan. [email protected]

Seattle
Joined April 2009
Don't wanna be here? Send us removal request.
@ro_ket
Rob Ketcherside
3 years
I've added 10 photos of George Nakashima as a Boy Scout to my article, courtesy of the Nakashima Foundation for Peace. https://t.co/8BxO7WCZqR
0
1
4
@ro_ket
Rob Ketcherside
3 years
Here's George Nakashima. 4 months of research and writing led to this. Share it with someone who is interested in the history of Scouting, Japanese Americans, woodworking, Seattle, or backpacking. https://t.co/8BxO7WCZqR
Tweet card summary image
ba-kground.com
0
1
2
@ro_ket
Rob Ketcherside
3 years
If you’re trying to find an old South Seattle street name, or another part of the city renamed in 1906 (Capitol Hill, Queen Anne, Magnolia, Leschi, Sodo, Beacon Hill, etc) you’re in luck. https://t.co/iLSz0T5XHk
Tweet card summary image
ba-kground.com
0
2
3
@ro_ket
Rob Ketcherside
3 years
Perhaps you noticed the line above? Roanoke St, and thereby Roanoke Park neighborhood of Seattle, originally used the archaic 1500s spelling "Roanoak". It originated in the Denny-Fuhrman Addition. TIL it is ~rawrenock, Algonquian word for a shell for trading.
1
2
5
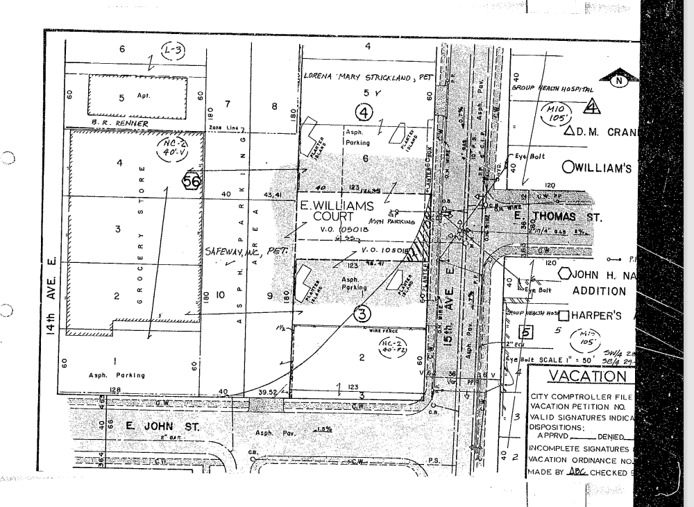
@ro_ket
Rob Ketcherside
3 years
Per ordinance 13271, this street by law was known as Williams' Court. I wonder if it was the only street name with an apostrophe in it? Named after Williams' Addition, which ended in the right half of the block.
2
2
3
@ro_ket
Rob Ketcherside
3 years
I wish I remember Williams Court. It was created in 1906 to remove duplicate Thomas Streets at 15th on Capitol Hill in Seattle. Erased in 2002 for Safeway rebuild. The block straddles two unaligned additions and was quite strange prior to 1910s (red line).
2
2
4
@ro_ket
Rob Ketcherside
3 years
Here's another city directory with a spectacular error for this family. Should be "Sakai Seichi (Chika)"
0
0
1
@ro_ket
Rob Ketcherside
3 years
That above family is riddled with errors and inconsistencies on every record I look at. I hope I'm helping a family historian as I fix them. I can't remember ever seeing someone with their name backward in the directory. This should be Yanagihara Kinnosuke (last first)
1
0
1
@ro_ket
Rob Ketcherside
3 years
This family was wronged. Taohi->Yoshi (census taker) Shungi->Shunji (transcriber) Taiko->Teiko (taker) Setaska->Setsuko (scribe) Metecuo->Mitsuo (both) Yamegihere->Yanagihara (scribe) Sakui->Sakai (scribe) Sejah->Seichi (both) Chaka->Chika (taker)
1
0
0
@ro_ket
Rob Ketcherside
3 years
@CampParsons Maybe I should buy a lotto ticket. The next name I pulled up is also transcribed wrong. A white man with the Arabic female name Jameela! (Actually James W, unfortunately.)
1
0
0
@ro_ket
Rob Ketcherside
3 years
There certainly are errors for white people in the census. They're rare, tho, and often census taker's fault. Here the taker wrote Howland (middle name), then wrote over it Reginald. Transcriber saw it "Hegegeland". Eponym of @CampParsons in 1910
1
0
1
@ro_ket
Rob Ketcherside
3 years
I've met many a Mr. Lyon Nis during my travels in Japan. Ancestry transcribers are really terrible at Japanese names. This should be Nishiyori. (I was getting info up page, and noticed a Japanese family and knew I'd need to make a correction.) 1910 census, Seattle.
1
0
1
@ro_ket
Rob Ketcherside
4 years
Who was the first Eagle Scout in Seattle? I couldn't find the answer so I figured it out and wrote about it. https://t.co/rsMNzNt1A6 cc @boyscouts @seattlebsa @NESABSA @HistoryLink @scouting
Tweet card summary image
ba-kground.com
0
0
0
@ro_ket
Rob Ketcherside
4 years
Since the @MountaineersOrg are so great, their 1920 is hosted online and has fantastic descriptions, photos, and a detailed map of their trip. Now I can reconstruct more details of George's trip.
Tweet card summary image
mountaineers.org
0
0
1
@ro_ket
Rob Ketcherside
4 years
Thank you to the journalist who wrote George's name and further said "the route was the same covered by the Mountaineers on their annual outing" the prior month. More thanks to the @uwspeccoll and @MountaineersOrg for these trip photos. Now I need a map
Tweet card summary image
digitalcollections.lib.washington.edu
The Mountaineers Summer Outing to Mount Olympus, July 31 to August 21, 1920. Typewritten text reads: The following pictures, taken by members of the party, illustrate the 150 mile trip thru the...
1
0
1
@ro_ket
Rob Ketcherside
4 years
I'm working on a story about woodworker George Nakashima's time in @scouting in Seattle in the 1910+20s. Last week I used clues in an oral history interview to find this description of a hike he took in Sept 1920. 105 miles in less than six days.
1
0
2
@ro_ket
Rob Ketcherside
4 years
I filled in the 8 month gap before @HistoryLink 's (great!) profile of Scouting in Seattle. This article also includes a profile of C. A. Player, the young man who seems the spark for the first Boy Scout troops here.
Tweet card summary image
ba-kground.com
1
0
1
In the US, teachers buy their own chalk while cops get Captain America shields to protect themselves from women who want healthcare
@mkraju
Manu Raju
4 years
On way to the court
1K
42K
199K
@ro_ket
Rob Ketcherside
4 years
I just noticed an error here — the family transferred at Bangor.
0
0
0