LeiTian14 Profile Banner
Lei Tian Profile
Lei Tian

@LeiTian14

Followers
2K
Following
7K
Media
70
Statuses
651

Assoc. Prof. @BU_ece. Ex. MIT, UC Berkeley, Tsinghua U. working on computational imaging.

Boston, MA
Joined June 2018
Don't wanna be here? Send us removal request.
@LeiTian14
Lei Tian
2 months
Our paper “Whitened Score Diffusion: A Structured Prior for Imaging Inverse Problems” is accepted to #NeurIPS2025 📄 https://t.co/iMfqbvpXsI 👏 Led by PhD alum @alido_jeffrey, who initiated and drove this idea forward.
Tweet card summary image
arxiv.org
Conventional score-based diffusion models (DMs) may struggle with anisotropic Gaussian diffusion processes due to the required inversion of covariance matrices in the denoising score matching...
5
10
84
@LeiTian14
Lei Tian
7 months
I’m humbled and honored to be named BU’s 2025 Provost’s Scholar-Teacher of the Year.
@BUCollegeofENG
BU Engineering
7 months
Congratulations to Lei Tian, winner of a 2025 Boston University Provost’s Scholar-Teacher of the Year Award! https://t.co/x0lErtQ4Dw
2
0
57
@LeiTian14
Lei Tian
7 months
Jiabei’s thesis advances intensity diffraction tomography by developing multiple scattering models and both transmission- and reflection-mode instrumentation, with potential impact in both bioimaging and metrology applications.
0
0
0
@LeiTian14
Lei Tian
7 months
Chang’s thesis advances multiple generations of self-supervised denoising methods to enable high-fidelity, high-resolution in vivo voltage imaging. I look forward to seeing these techniques translated into real-world neuroscience applications through our ongoing collaborations.
1
0
0
@LeiTian14
Lei Tian
7 months
A busy and fulfilling April - proud to celebrate the 8th and 9th Ph.D. graduates of the Tian Lab: Dr. Chang Liu and Dr. Jiabei Zhu!
1
0
8
@LeiTian14
Lei Tian
8 months
Tongyu's work on Reflection-mode diffraction tomography of multiple-scattering samples on a reflective substrate from intensity images - a new technique that enables simultaneous recovery of forward- and back-scatter information. https://t.co/saDfyeSebb
2
4
31
@ICCP_conference
#ICCP2025
9 months
In addition to our keynotes, we have an EXCITING lineup of invited talks featuring top experts in the computational imaging world!
1
8
35
@LeiTian14
Lei Tian
9 months
Excited to share our multi-team effort, with collaborators in @BU_NPC, @bu_cte, and @MGHMartinos, on enhanced multiscale human brain imaging using semi-supervised digital staining and serial-sectioning optical coherence tomography, is finally out! https://t.co/C5cnxGNSgN
Tweet card summary image
nature.com
Light: Science & Applications - Enhanced 3D brain imaging modality by integrating serial-sectioning OCT with semi-supervised digital staining.
1
5
26
@BU_ece
BU Dept. of Electrical & Computer Engineering
10 months
Computational imaging pioneer Professor @LeiTian14 and ultrafast optics trailblazer Professor Michelle Sander have both been elected to @OpticaWorldwide's 2025 class of Fellows: https://t.co/Zj42lwzKlt
2
5
22
@LeiTian14
Lei Tian
10 months
congratulations @CislMatlock!
@moofaca
yongkeun (Paul) park
10 months
Congrats to our award winners at #QuantitativePhaseImaging conf. at @PhotonicsWest 🥇 @CislMatlock (MIT) – Gabriel Popescu Award 👏 @YunhuiGao99 (Tsinghua Univ.) & Yoonjae Chung (KAIST) – Recognized for outstanding presentations #QPI #Holotomography
0
0
6
@LeiTian14
Lei Tian
1 year
Tongyu's work on reflection-mode intensity diffraction tomography for imaging scattering samples on a reflective substrate, with a modified Born series model incorporating Bloch and PEC boundary conditions, and adjoint method for solving inverse problem. https://t.co/eKGlqUBi0O
0
2
18
@LeiTian14
Lei Tian
1 year
Chang's work on self-supervised denoising with decoupled spatiotemporal enhancement for low-photon voltage imaging. https://t.co/BZV1fTocNo
1
11
43
@LeiTian14
Lei Tian
1 year
Hao’s work "NeuPh: a scalable, robust, and generalizable neural phase retrieval method". By integrating a coordinate-based training strategy, NeuPh enables continuous-domain, resolution-enhanced phase reconstruction with improved scalability and accuracy. https://t.co/gcAPQ6Kk8Q
0
3
36
@LeiTian14
Lei Tian
1 year
Congratulations to Guorong for having his work featured on the cover of Biomedical Optics Express!
0
2
14
@LeiTian14
Lei Tian
1 year
@OpticaWorldwide @BU_ece @BUCollegeofENG @CISE_BU This work represents significant progress towards developing a miniaturized imaging device, capable of achieving cm-scale FOV and cellular resolution, while also enabling dynamic imaging and data processing. Funded by @NINDSfunding and @czi @cziscience.
1
0
5
@LeiTian14
Lei Tian
1 year
Qianwan's work introduces SV-FourierNet to address extensive view multiplexing and non-local, shift-variant aberrations. @OpticaWorldwide @BU_ece @BUCollegeofENG @CISE_BU https://t.co/vFDW5WzoFN
1
9
55
@LeiTian14
Lei Tian
1 year
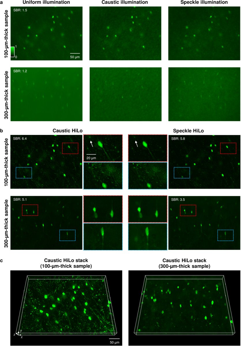
Guorong’s paper on using caustic patterns for HiLo-based optical sectioning SIM. Caustic patterns show an improvement in optical sectioning compared to speckles, attributed to their unique intensity statistics. #OSA_BOEx https://t.co/XMOZAajr0P
1
7
39
@LeiTian14
Lei Tian
2 years
Help us spread the words about Photonics Undergraduate Research Summer Experience (PURSuE) program at Boston University -- a 10-week REU program (6/2/24 – 8/10/24) for students who are interested in pursuing doctoral research related to photonics.
1
17
45
@BU_NPC
BU_Neurophotonics
2 years
@LeiTian14's Computational Imaging Systems group has been leading the charge in calculating new ways to see molecules, cells, and life in action, as featured in Katherine J. McAlpine's latest article for the Photonics Center! Check out the article here: https://t.co/0d7QwMJZ4G
0
6
28